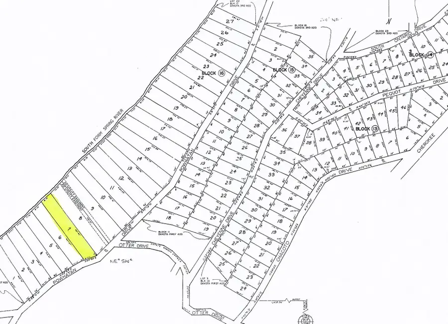
TBD Powhatan Drive, Cherokee Village, AR 72529
Local realty services provided by:ERA TEAM Real Estate
TBD Powhatan Drive,Cherokee Village, AR 72529
$9,800
- 0.93 Acres
- Lots / Land
- Active
Listed by: kelly harrison
Office: king-rhodes & associates, inc.
MLS#:26000931
Source:AR_CARMLS
Price summary
- Price:$9,800
About this home
This lot is located on the bluff of the South Fork and is a beautifully wooded and secluded area with access to the river. Water and electric in area. Perfect spot to build your dream home. Priced to sell! Must take a look.
Contact an agent
Home facts
- Listing ID #:26000931
- Added:123 day(s) ago
- Updated:May 10, 2026 at 02:21 PM
Structure and exterior
- Lot area:0.93 Acres
- Lot Features:River Front, Sloped, Wooded
Schools
- High school:Highland
- Middle school:Highland
- Elementary school:Cherokee
Utilities
- Water:Water-Public
- Sewer:Septic
Finances and disclosures
- Price:$9,800
- Tax amount:$420
Features and amenities
- Amenities:Fitness/Bike Trail, Golf Course, Marina, Party Room, Picnic Area, Playground, Security, TV-Satellite Dish, Telephone-Private, Tennis Court(s)
- Pool features:Swimming Pool(s)
New listings near TBD Powhatan Drive
- New
$487,500Active4 beds 3 baths2,901 sq. ft.176 E Lakeshore Drive, Cherokee Village, AR 72529
MLS# 10129550Listed by: CENTURY 21 PORTFOLIO - New
$59,000Active2 beds 2 baths1,100 sq. ft.45 MONONGAHELA DRIVE, Cherokee Village, AR 72529
MLS# 134103Listed by: BAXTER REAL ESTATE COMPANY - New
$1,200Active0.25 AcresLot 22 Brule Trail, Cherokee Village, AR 72529
MLS# 25043203Listed by: EXP REALTY - New
$3,900Active0.65 Acres000 Iroquois Drive, Cherokee Village, AR 72529
MLS# 26018439Listed by: FERGUSON REALTY GROUP - New
$169,000Active2 beds 1 baths1,144 sq. ft.17 Iroquois Circle, Cherokee Village, AR 72529
MLS# 10129495Listed by: CENTURY 21 PORTFOLIO - New
$34,900Active1 AcresTBD San Juan Trail, Cherokee Village, AR 72529
MLS# 26018179Listed by: KING-RHODES & ASSOCIATES, INC. - New
$375,000Active4 beds 2 baths2,500 sq. ft.178 Paw Paw Ridge Road, Hardy, AR 72542
MLS# 26018041Listed by: VENTURE REALTY GROUP - BATESVILLE - New
$120,900Active2 beds 2 baths1,376 sq. ft.8 Spring River Lane, Cherokee Village, AR 72529
MLS# 26018055Listed by: COLDWELL BANKER OZARK REAL ESTATE COMPANY - New
$308,000Active3 beds 2 baths1,300 sq. ft.236 E Lakeshore Drive, Cherokee Village, AR 72525
MLS# 26018065Listed by: SOUTHERN PINES REALTY OF THE OZARKS - New
$99,500Active2 beds 2 baths1,120 sq. ft.26 Tenkiller Lane, Cherokee Village, AR 72529
MLS# 26017959Listed by: COLDWELL BANKER OZARK REAL ESTATE COMPANY