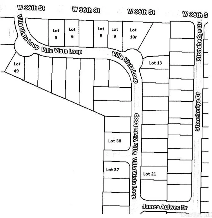
23 Villa Vista Loop, Little Rock, AR 72204
Local realty services provided by:ERA Doty Real Estate
23 Villa Vista Loop,Little Rock, AR 72204
$150,000
- 1.98 Acres
- Lots / Land
- Active
Listed by: timothy king
Office: realty brokers of arkansas
MLS#:26010037
Source:AR_CARMLS
Price summary
- Price:$150,000
About this home
10 Lots For Sale: 5,6,8,9,10r,13,21,37,38,49 for Total Price $150,000 on Villa Vista Loop, Little Rock, AR 72204. Highest Bidder gets 10 Subdivision Lots to build houses on. Perfect for a builder.
Contact an agent
Home facts
- Listing ID #:26010037
- Added:54 day(s) ago
- Updated:May 10, 2026 at 02:36 PM
Structure and exterior
- Lot area:1.98 Acres
- Lot Features:In Subdivision
Utilities
- Water:Water-Public
- Sewer:Sewer-Public
Finances and disclosures
- Price:$150,000
- Tax amount:$2,100 (2025)
New listings near 23 Villa Vista Loop
- New
$199,900Active3 beds 3 baths1,536 sq. ft.21 Woodlore Circle, Little Rock, AR 72211
MLS# 26018716Listed by: ADKINS & ASSOCIATES REAL ESTATE - Open Sun, 2 to 4pmNew
$429,900Active4 beds 4 baths2,625 sq. ft.2217 Scott, Little Rock, AR 72206
MLS# 26018721Listed by: KELLER WILLIAMS REALTY - New
$150,000Active3 beds 2 baths1,721 sq. ft.6432 Tulip Road, Little Rock, AR 72209
MLS# 26018727Listed by: MID SOUTH REALTY - New
$739,000Active5 beds 5 baths4,065 sq. ft.63 Talais Drive, Little Rock, AR 72223
MLS# 26018728Listed by: RESOURCE REALTY - New
$199,900Active4 beds 3 baths1,655 sq. ft.10715 Excalibur Drive, Little Rock, AR 72209
MLS# 26018709Listed by: IREALTY ARKANSAS - SHERWOOD - New
$269,900Active3 beds 2 baths2,102 sq. ft.3218 Rocky Court, Little Rock, AR 72227
MLS# 26018699Listed by: CRYE-LEIKE REALTORS KANIS BRANCH - New
$1,725,000Active5 beds 5 baths6,091 sq. ft.6 Hallen Court, Little Rock, AR 72223
MLS# 26018669Listed by: EPIC REAL ESTATE - New
$389,900Active3 beds 2 baths1,922 sq. ft.200 Garden Valley Loop, Little Rock, AR 72223
MLS# 26018678Listed by: SIGNATURE PROPERTIES - Open Sun, 1 to 4pmNew
$729,900Active6 beds 4 baths4,560 sq. ft.9 Lamarche Lane, Little Rock, AR 72223
MLS# 26018665Listed by: CRYE-LEIKE REALTORS KANIS BRANCH - New
$399,000Active3 beds 3 baths3,220 sq. ft.2314 S Battery Street, Little Rock, AR 72206
MLS# 26018656Listed by: KELLER WILLIAMS REALTY