xxxxxx E Mustang Drive #A, Fountain Hills, AZ 85268
Local realty services provided by:HUNT Real Estate ERA
xxxxxx E Mustang Drive #A,Fountain Hills, AZ 85268
$750,000
- 1.79 Acres
- Lots / Land
- Active
Listed by: zehira g dadon-sitbon
Office: homesmart
MLS#:7015120
Source:ARMLS
Price summary
- Price:$750,000
- Monthly HOA dues:$95.83
About this home
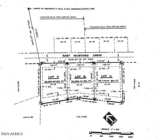
Premier 1.8-Acre with magnificent Views in Westridge Estate. This nearly 2-acre lot offers an unmatched canvas for your vision of desert luxury living. With an impressive 420 feet of frontage along Mustang Dr. this parcel calls developers and dreamers alike to bring their architectural aspirations to life. With its generous size and prime location, you can envision luxurious homes that take full advantage of the incredible views and the tranquility of the surrounding desert. The property backed to a sprawling wash area with majestic Saguaros and native desert flora, provides a chance to enjoy the beauty of the Sonoran Desert right in your backyard. This is your chance to be a part of Fountain Hills, a picturesque community known for its outdoor recreational opportunities, world-class golf, excellent schools, and a vibrant arts scene. Whether you are a developer or an individual with a dream, this vacant lot offers a wealth of possibilities. Very easy access to Shea and city center. Create your perfect desert haven here and savor the beauty of Arizona's natural landscape every day. See listing for the other lots:7015079, 7015104, 7015111...
Contact an agent
Home facts
- Listing ID #:7015120
- Updated:April 18, 2026 at 03:12 PM
Structure and exterior
- Lot area:1.79 Acres
- Lot Features:Adjacent To Wash
Schools
- High school:Fountain Hills High School
- Middle school:Fountain Hills Middle School
Utilities
- Sewer:Sewer Available
Finances and disclosures
- Price:$750,000
- Tax amount:$1,541 (2022)
New listings near xxxxxx E Mustang Drive #A
- New
$3,850,000Active4 beds 6 baths5,152 sq. ft.15431 E Palatial Circle, Fountain Hills, AZ 85268
MLS# 7015987Listed by: REALTY ONE GROUP - New
$1,000,000Active2 beds 3 baths2,546 sq. ft.15219 E Redrock Drive, Fountain Hills, AZ 85268
MLS# 7015739Listed by: COLDWELL BANKER REALTY - New
$255,000Active2 beds 1 baths1,026 sq. ft.17027 E Calle Del Oro -- E #D, Fountain Hills, AZ 85268
MLS# 7015549Listed by: REALTY ONE GROUP
$225,000Pending1 beds 1 baths778 sq. ft.13700 N Fountain Hills Boulevard #344, Fountain Hills, AZ 85268
MLS# 7015146Listed by: KELLER WILLIAMS ARIZONA REALTY- New
$362,500Active2 beds 3 baths1,393 sq. ft.16826 E Lamplighter Way #8, Fountain Hills, AZ 85268
MLS# 7015168Listed by: HOMESMART LIFESTYLES - New
$665,000Active3 beds 2 baths2,122 sq. ft.14053 N Hampstead Drive, Fountain Hills, AZ 85268
MLS# 7015041Listed by: CMS PROPERTIES & REAL ESTATE LLC - New
$265,000Active0.62 Acres15231 E Mustang Drive #A, Fountain Hills, AZ 85268
MLS# 7015079Listed by: HOMESMART - New
$265,000Active0.6 Acres15249 E Mustang Drive #C, Fountain Hills, AZ 85268
MLS# 7015104Listed by: HOMESMART - New
$255,000Active0.56 Acres15237 E Mustang Drive #B, Fountain Hills, AZ 85268
MLS# 7015111Listed by: HOMESMART