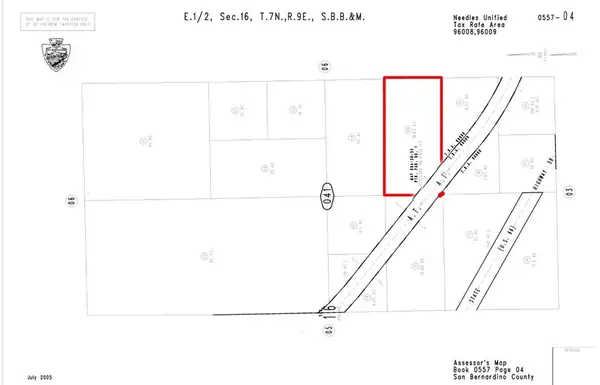
0 0557-051-21-0000 Hwy 66, Amboy, CA 92304

Local realty services provided by:Nelson Shelton Real Estate ERA Powered
0 0557-051-21-0000 Hwy 66,Amboy, CA 92304
$27,000
  • 8.91 Acres
  • Lots / Land
  • Active
Listed by: aaron de franco
Office: keller williams realty
MLS#:IG25259429
Source:CRMLS

Price summary

  • Price:$27,000

About this home

There is not an address associated with this parcel. What is reflected is the Parcel# 0557-051-21-0000 which is +/-8.91 Acres. Zoning is RC. Located in Unincorporated San Bernardino County near the area of Ash Hill which is near Ludlow. Access via paved National Trails Hwy (Route 66). +/-70 ft from paved frontage road of+/-769 ft . THAT PORTION OF OF THE EAST 1/2 OF THE NORTHWEST 1/4 OF THE SOUTHWEST 1/4 OF SECTION 16, TOWNSHIP 7 NORTH, RANGE9EAST, SAN BERNARDINO BASE AND MERIDIAN, LYING SOUTHWESTERLY OF THE STATE HIGHWAY 58, IN THE COUNTY OF SAN BERNARDINO, STATE OF California, ACCORDING TO THE OFFICIAL PLAT THEREOF.

Contact an agent

contact an agent

Yes, I would like more information. Please use and/or share my information with an ERA®  affiliated agent to contact me about my real estate needs. By clicking Send message, I request to be contacted by phone or text message and consent to being contacted by automated means. I understand that my consent to receive calls or texts is not a condition of purchasing any property, goods, or services. Alternatively, I understand that I can access real estate services by email or I can contact the agent myself.

If an ERA®  affiliated agent is not available in the area where I need assistance, I agree to be contacted by a real estate agent affiliated with another brand owned or licensed by Anywhere Real Estate (BHGRE® , CENTURY 21® , Coldwell Banker® , Corcoran® , Sotheby's International Realty® ).
 I acknowledge that I have read and agree to theTerms of useandPrivacy notice

Home facts

  • Listing ID #:IG25259429
  • Added:140 day(s) ago
  • Updated:April 03, 2026 at 10:47 AM

Structure and exterior

  • Lot area:8.91 Acres
  • Lot Features:Desert Back, Value In Land

Finances and disclosures

  • Price:$27,000
The information being provided by California Regional MLS (Southern California) is for the consumer's personal, non-commercial use and may not be used for any purpose other than to identify prospective properties consumer may be interested in purchasing. Any information relating to real estate for sale referenced on this web site comes from the Internet Data Exchange (IDX) program of the California Regional MLS (Southern California). Nelson Shelton Real Estate ERA Powered is not a Multiple Listing Service (MLS), nor does it offer MLS access. This website is a service of Nelson Shelton Real Estate ERA Powered, a broker participant of California Regional MLS (Southern California). This web site may reference real estate listing(s) held by a brokerage firm other than the broker and/or agent who owns this web site. The accuracy of all information, regardless of source, including but not limited to open house information, square footages and lot sizes, is deemed reliable but not guaranteed and should be personally verified through personal inspection by and/or with the appropriate professionals. The data contained herein is copyrighted by California Regional MLS (Southern California) and is protected by all applicable copyright laws. Any unauthorized dissemination of this information is in violation of copyright laws and is strictly prohibited. Copyright 2021 California Regional MLS (Southern California). All rights reserved.