0 14 Fwy Frontage Rd, California City, CA 93501

Local realty services provided by:ERA Excel Realty
0 14 Fwy Frontage Rd,California City, CA 93501
$55,000
  • 17.21 Acres
  • Lots / Land
  • Active
Listed by: april bartlett
Office: block properties,inc.661-478-8300
MLS#:SR25272855
Source:CRMLS

Price summary

  • Price:$55,000

About this home

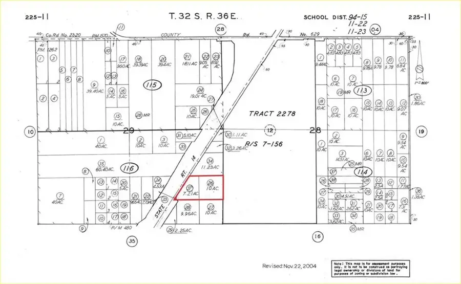
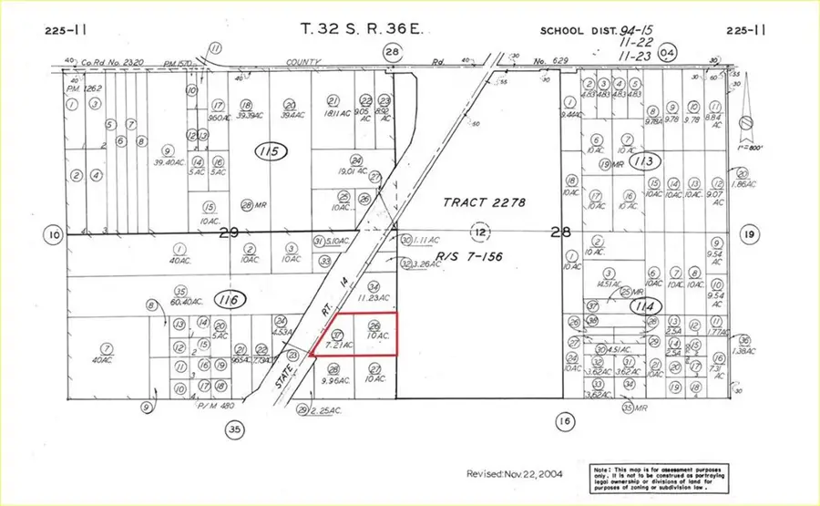
**Excellent development opportunity with two contiguous parcels totaling 17.21 acres zoned R3 High-Density Residential. Located just south of California City Blvd with direct paved frontage along the Hwy 14 Frontage Road, these parcels sit immediately east of State Highway 14 in a future residential corridor. The 7.21-acre and 10-acre parcels offer flat, buildable terrain ideal for multi-family housing, townhomes, apartments, or higher-density residential projects (buyer to verify). Prime location near the Mojave Air & Space Port, with outstanding visibility and convenient access to major transportation routes. Rare chance for developers to secure large R3-zoned acreage in a high-growth area with strong long-term demand.**APN#225-116-37 & 26 both included in sale.

Contact an agent

contact an agent

Yes, I would like more information. Please use and/or share my information with an ERA®  affiliated agent to contact me about my real estate needs. By clicking Send message, I request to be contacted by phone or text message and consent to being contacted by automated means. I understand that my consent to receive calls or texts is not a condition of purchasing any property, goods, or services. Alternatively, I understand that I can access real estate services by email or I can contact the agent myself.

If an ERA®  affiliated agent is not available in the area where I need assistance, I agree to be contacted by a real estate agent affiliated with another brand owned or licensed by Anywhere Real Estate (BHGRE® , CENTURY 21® , Coldwell Banker® , Corcoran® , Sotheby's International Realty® ).
 I acknowledge that I have read and agree to theTerms of useandPrivacy notice

Home facts

  • Listing ID #:SR25272855
  • Added:135 day(s) ago
  • Updated:April 23, 2026 at 01:18 PM

Structure and exterior

  • Lot area:17.21 Acres
  • Lot Features:Irregular Lot, Lot Over 40000 Sqft, Value In Land

Utilities

  • Water:Water Not Available

Finances and disclosures

  • Price:$55,000
Based on information from California Regional Multiple Listing Service, Inc. as of April 23, 2026 . This information is for your personal, non-commercial use and may not be used for any purpose other than to identify prospective properties you may be interested in purchasing. Display of MLS data is usually deemed reliable but is NOT guaranteed accurate by the MLS. Buyers are responsible for verifying the accuracy of all information and should investigate the data themselves or retain appropriate professionals. Information from sources other than the Listing Agent may have been included in the MLS data. Unless otherwise specified in writing, Broker/Agent has not and will not verify any information obtained from other sources. The Broker/Agent providing the information contained herein may or may not have been the Listing and/or Selling Agent. The information provided is for consumers' personal, non-commercial use and may not be used for any purpose other than to identify prospective properties consumers may be interested in purchasing. All properties are subject to prior sale or withdrawal. All information provided is deemed reliable but is not guaranteed accurate, and should be independently verified.