0 Lot 1 Western Ave, Desert Hot Springs, CA 92240
Local realty services provided by:ERA North Orange County Real Estate
0 Lot 1 Western Ave,Desert Hot Springs, CA 92240
$45,000
- 1.23 Acres
- Lots / Land
- Active
Listed by:anne hug
Office:bennion deville homes
MLS#:219126053
Source:CA_DAMLS
Price summary
- Price:$45,000
About this home
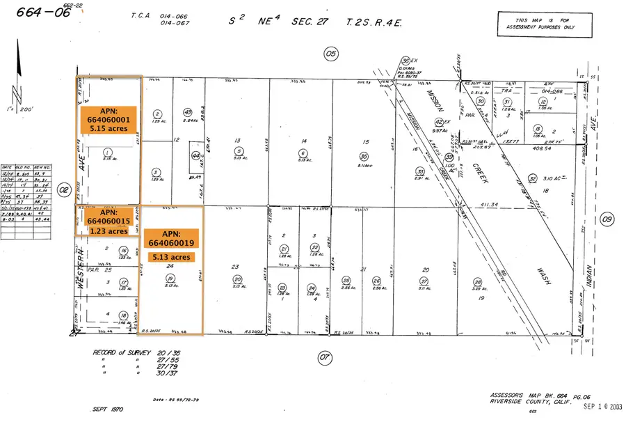
Incredible location with beautiful 360 degree views, windmills dancing in the distance, and .5 miles inland from major road (N. Indian Canyon Dr.) that transverses all the way to the south-end of Palm Springs. This area is booming and has seen tremendous growth in the past years. The cannabis industry has transformed the area North of this property and has created high demand for housing. This 1.23 acres/ 53,579 sq ft parcel can be purchased with its adjoining lots APN # 664060001 (5.15 acres), and APN # 664060019 (5.13 acres) to create an 11.51 acre spec or tract home development, or simply for one's own enjoyment of this serene land. This is a rare opportunity that may never be available again. The future of Desert Hot Springs is growth and expansion, being named one of the most financially stable cities in the state, the future is more than bright, it's a smart investment.
Note: This property is zoned for residential use. Access to the property is off Western Ave., please contact the agent for showing access and specific coordinates, there are no markers on the property. Buyer to do own due diligence on property and surrounding land ownership/use. Contact Desert Hot Springs Planning Department to inquire about the potential uses of this property.
Contact an agent
Home facts
- Listing ID #:219126053
- Added:209 day(s) ago
- Updated:October 03, 2025 at 02:42 PM
Structure and exterior
- Lot area:1.23 Acres
Finances and disclosures
- Price:$45,000
New listings near 0 Lot 1 Western Ave
- New$125,000Active0.14 Acres
12061 Palm Drive Drive, Desert Hot Springs, CA 92240
MLS# 219136277DAListed by: WILSON-MEADE COMMERCIAL REAL ESTATE - New$550,000Active2 beds 2 baths1,428 sq. ft.
9201 Warwick, Desert Hot Springs, CA 92240
MLS# 219136282DAListed by: AZEVEDO AND ASSOCIATES - New$125,000Active0.14 Acres
12061 Palm Drive Drive, Desert Hot Springs, CA 92240
MLS# 219136277Listed by: WILSON-MEADE COMMERCIAL REAL ESTATE - New$550,000Active2 beds 2 baths1,428 sq. ft.
9201 Warwick, Desert Hot Springs, CA 92240
MLS# 219136282Listed by: AZEVEDO AND ASSOCIATES - New$125,000Active0.14 Acres
12061 Palm Drive Drive, Desert Hot Springs, CA 92240
MLS# 219136277DAListed by: WILSON-MEADE COMMERCIAL REAL ESTATE - New$550,000Active2 beds 2 baths1,428 sq. ft.
9201 Warwick, Desert Hot Springs, CA 92240
MLS# 219136282DAListed by: AZEVEDO AND ASSOCIATES - New$434,900Active3 beds 2 baths1,837 sq. ft.
66034 Santa Rosa Road, Desert Hot Springs, CA 92240
MLS# IV25230945Listed by: BERKSHIRE HATHAWAY HOMESERVICES CALIFORNIA REALTY - New$434,900Active3 beds 2 baths1,837 sq. ft.
66034 Santa Rosa Road, Desert Hot Springs, CA 92240
MLS# IV25230945Listed by: BERKSHIRE HATHAWAY HOMESERVICES CALIFORNIA REALTY - New$99,000Active2 beds 1 baths700 sq. ft.
74711 Dillon Road #203, Desert Hot Springs, CA 92241
MLS# 219136260Listed by: DESERT ELITE PROPERTIES, INC. - New$105,000Active2 beds 1 baths700 sq. ft.
70200 Dillon Road #436, Desert Hot Springs, CA 92241
MLS# 219136246Listed by: SUN REAL ESTATE TEAM, INC