700 Hoffman, Johannesburg, CA 93558
Local realty services provided by:ERA North Orange County Real Estate
700 Hoffman,Red Mountain, CA 93558
$14,900
- 0 Acres
- Lots / Land
- Active
Listed by: nicole craft
Office: nicole craft, broker
MLS#:HD25252339
Source:San Diego MLS via CRMLS
Price summary
- Price:$14,900
About this home
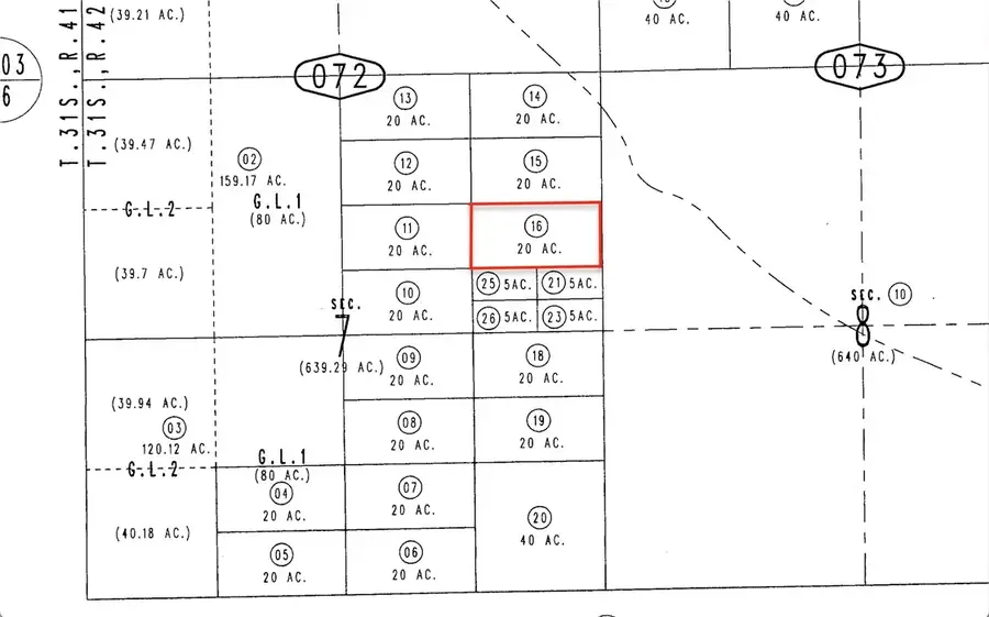
REDUCED!! 20 RURAL acres in the Mojave desert! This property is northeast of Kramer Junction close to the Grass Valley Wilderness area. This property would make a perfect camping spot as it has road access, is close to many off roading areas, and it's right next to 640 acres of government owned land! Bring your camper and off road toys out for fun in the sun! 20 acres for under $20,000...It doesn't get better than that! APN# 0504-072-16-0000 Coordinates:35.254139 /-117.509463 This property does not have an address assigned. "700 Hoffman Rd" is for listing purposes only.
Contact an agent
Home facts
- Listing ID #:HD25252339
- Added:181 day(s) ago
- Updated:May 03, 2026 at 01:58 PM
Finances and disclosures
- Price:$14,900

