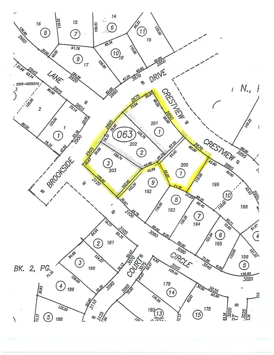
2870 Crestview Circle, La Porte, CA 95981
Local realty services provided by:ERA Carlile Realty Group
2870 Crestview Circle,La Porte, CA 95981
$39,500
- 1.13 Acres
- Lots / Land
- Active
Listed by: teresa garcia
Office: century 21 select real estate
MLS#:225121507
Source:MFMLS
Price summary
- Price:$39,500
- Monthly HOA dues:$54.17
About this home
Here's your opportunity to own a slice of paradise in La Porte Pines Country Club! Build your dream cabin getaway on four contiguous lots, totaling 1.2 acres, all for just $39,500. Nestled beneath majestic tall pines, this property offers tranquility and natural beauty. *Parcel #003-091-001 was perked in 2010. A beautiful seasonal creek runs through the property, and the culvert and driveway are already in place for your convenience. If you love fishing, boating, hiking, biking, snowmobiling, or off-roading, La Porte is the perfect destination offering some of the best outdoor recreation in all of California! Don't miss out on this rare opportunity your mountain retreat awaits!
Contact an agent
Home facts
- Listing ID #:225121507
- Added:91 day(s) ago
- Updated:December 18, 2025 at 04:02 PM
Structure and exterior
- Lot area:1.13 Acres
Utilities
- Water:Water Available
- Sewer:Septic Needed, Special Requirements
Finances and disclosures
- Price:$39,500

