0 E 218th Street, Lancaster, CA 93535

Local realty services provided by:ERA North Orange County Real Estate
0 E 218th Street,Lancaster, CA 93535
$13,900
  • 5 Acres
  • Lots / Land
  • Active
Listed by: alexander gauld
Office: alexander gauld realty415-602-1075
MLS#:219142363DA
Source:CRMLS

Price summary

  • Price:$13,900

About this home

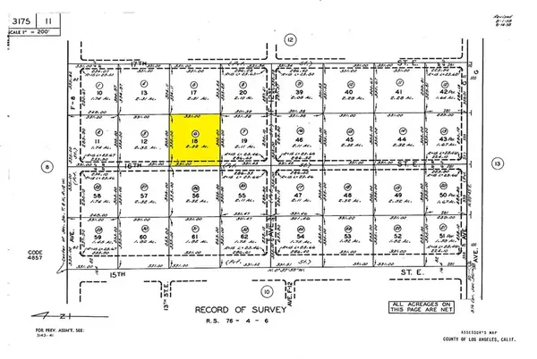
5 Acre Lot in East Lancaster, 660 feet south of Avenue J to North lot line center of parcel at GPS 34.68713, -117.74108, there is recorded easement through the 5 acre parcel to the north between this parcel and Avenue J of 30 feet for access, property is East of Saddleback Ridge State Park, about a 1300 feet south of Avenue J to Southern lot line, parcel is fairly easy to get to, flat usable land, very light brush and a couple Joshua Trees, great view back to state park, no power or water, off grid opportunity, just far enough from main paved road for privacy, , OWC with 20 percent down at 8 percent interest, length of term negotiable, great usable land for the right person, is south half of what was previously a 10 acre parcel, the new county plat map reflects this change, title insurance is tentatively approved could speed up an escrow, contact for more information, corners marked with stakes

Contact an agent

contact an agent

Yes, I would like more information. Please use and/or share my information with an ERA®  affiliated agent to contact me about my real estate needs. By clicking Send message, I request to be contacted by phone or text message and consent to being contacted by automated means. I understand that my consent to receive calls or texts is not a condition of purchasing any property, goods, or services. Alternatively, I understand that I can access real estate services by email or I can contact the agent myself.

If an ERA®  affiliated agent is not available in the area where I need assistance, I agree to be contacted by a real estate agent affiliated with another brand owned or licensed by Anywhere Real Estate (BHGRE® , CENTURY 21® , Coldwell Banker® , Corcoran® , Sotheby's International Realty® ).
 I acknowledge that I have read and agree to theTerms of useandPrivacy notice

Home facts

  • Listing ID #:219142363DA
  • Added:91 day(s) ago
  • Updated:May 03, 2026 at 10:43 AM

Structure and exterior

  • Lot area:5 Acres
  • Lot Features:Flat, Level with Street

Finances and disclosures

  • Price:$13,900
The information being provided by California Regional MLS (Southern California) is for the consumer's personal, non-commercial use and may not be used for any purpose other than to identify prospective properties consumer may be interested in purchasing. Any information relating to real estate for sale referenced on this web site comes from the Internet Data Exchange (IDX) program of the California Regional MLS (Southern California). ERA North Orange County Real Estate is not a Multiple Listing Service (MLS), nor does it offer MLS access. This website is a service of ERA North Orange County Real Estate, a broker participant of California Regional MLS (Southern California). This web site may reference real estate listing(s) held by a brokerage firm other than the broker and/or agent who owns this web site. The accuracy of all information, regardless of source, including but not limited to open house information, square footages and lot sizes, is deemed reliable but not guaranteed and should be personally verified through personal inspection by and/or with the appropriate professionals. The data contained herein is copyrighted by California Regional MLS (Southern California) and is protected by all applicable copyright laws. Any unauthorized dissemination of this information is in violation of copyright laws and is strictly prohibited. Copyright 2021 California Regional MLS (Southern California). All rights reserved.