6113 Napa (@ Rainbow), Landers, CA 92285
Local realty services provided by:ERA North Orange County Real Estate
6113 Napa (@ Rainbow),Landers, CA 92285
$153,580
- 0 Acres
- Lots / Land
- Active
Listed by: gregg cochran
Office: smoketree commercial
MLS#:OC25206622
Source:San Diego MLS via CRMLS
Price summary
- Price:$153,580
About this home
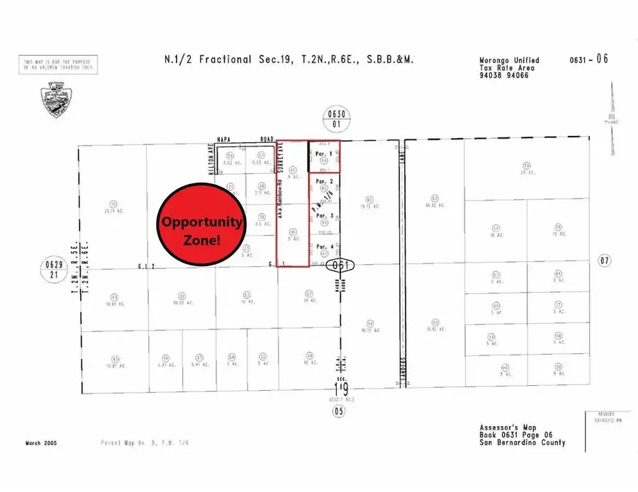
12.5 Acres in Landers, CA Opportunity Zone & NMTC Eligible Unlock powerful tax advantages with this 12.5-acre assemblage in Landers, CA, located within both a federally designated Opportunity Zone and a New Market Tax Credit Zone. Comprising two 5-acre parcels and one 2.5-acre parcel, this flat, buildable land offers water access and is situated just off a paved roadideal for commercial, hospitality, or mixed-use development. Investment Highlights Located in Opportunity Zone Potential for capital gains tax deferral and exclusion NMTC Eligible Access to federal tax credits for qualifying development 12.5 Acres Total (3 Legal Parcels) Water Access On-Site Near Paved Road for Easy Access Panoramic Mountain Views Minutes to Joshua Tree National Park High tourism traffic May be Ideal for Glamping, Eco-Lodges, or Mixed-Use Desert Development This property offers a rare blend of natural beauty and financial incentivesperfect for developers seeking long-term upside in a rapidly growing desert corridor. Short-Term Rental Developer MLS Description 12.5 Acres Near JTNP Ideal for Vacation Rental Development Unlock the potential of this 12.5-acre parcel in Landers, CAjust a short drive from Joshua Tree National Park! Comprising two 5-acre parcels and one 2.5-acre parcel, this flat, buildable land with water access is perfect for creating a desert getaway compound or multiple short-term rental units. Located near a paved road for easy access, with panoramic mountain views and a tranquil setting that guests will love. A rare opportunity to build a high-demand destination in t...
Contact an agent
Home facts
- Listing ID #:OC25206622
- Added:235 day(s) ago
- Updated:May 03, 2026 at 01:58 PM
Finances and disclosures
- Price:$153,580
New listings near 6113 Napa (@ Rainbow)
- New
$25,000Active2.27 Acres3 Ducor Avenue, Landers, CA 92285
MLS# JT26094692Listed by: JOSHUA TREE REALTY - Open Sun, 11:30am to 2pmNew
$335,000Active2 beds 2 baths725 sq. ft.5827 Old Woman Springs Road, Landers, CA 92285
MLS# IG26094966Listed by: REALTY ONE GROUP HOMELINK - New
$335,000Active2 beds 2 baths725 sq. ft.5827 Old Woman Springs Road, Johnson Valley, CA 92285
MLS# IG26094966Listed by: REALTY ONE GROUP HOMELINK - New
$125,000Active1 beds 1 baths800 sq. ft.51033 Joshua Tree, Landers, CA 92285
MLS# OC26094681Listed by: BALBOA REAL ESTATE, INC
$45,000Pending1 beds 1 baths930 sq. ft.46525 Old Woman Springs Rd, Johnson Valley, CA 92285
MLS# HD26093200Listed by: NICOLE CRAFT, BROKER- New
$425,000Active2 beds 2 baths1,008 sq. ft.51063 Joshua Tree, Johnson Valley, CA 92285
MLS# OC26093026Listed by: BALBOA REAL ESTATE, INC - New
$469,999Active4 beds 3 baths2,734 sq. ft.61375 Leslie Lane, Landers, CA 92285
MLS# SW26092445Listed by: LPT REALTY, INC - New
$499,000Active2 beds 2 baths1,353 sq. ft.915 Dakota Lane, Landers, CA 92285
MLS# JT26090400Listed by: EXP REALTY OF SOUTHERN CALIFORNIA, INC. - New
$325,000Active3 beds 2 baths1,056 sq. ft.60033 Sespe, Landers, CA 92285
MLS# CV26091041Listed by: REAL BROKERAGE TECHNOLOGIES - New
$28,500Active5 Acres59775 Bearing Tree Road, Landers, CA 92285
MLS# JT26090965Listed by: CHERIE MILLER & ASSOCIATES