1623 E 1st Street, Los Angeles, CA 90033

Local realty services provided by:ERA Carlile Realty Group
1623 E 1st Street,Los Angeles, CA 90033
$499,999
  • 0.19 Acres
  • Lots / Land
  • Active
Listed by: jennifer landon, nancy gonzalez
Office: landon realty group
MLS#:SR26005009
Source:CRMLS

Price summary

  • Price:$499,999

About this home

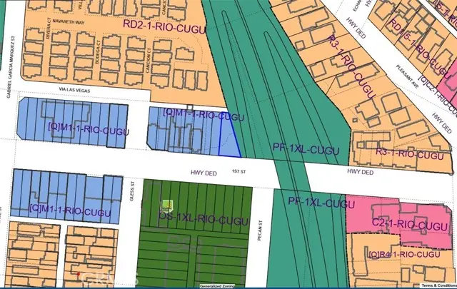
Prime Development Opportunity in Los Angeles! Unlock the potential of this 8,349 SF lot located in the City of Los Angeles and zoned [Q]M1-1-RIO-CUGU. This versatile zoning designation allows for a wide range of light industrial, commercial, creative office, live/work, and limited residential uses, making it an exceptional opportunity for developers, investors, or owner-users. The site’s [Q] Qualified Conditions and RIO (River Improvement Overlay) District encourage projects that align with the City’s revitalization goals for the Los Angeles River, while the CUGU (Clean Up Green Up) overlay promotes sustainable, environmentally responsible development. With its flexible zoning, this property is ideally suited for creative industrial, warehouse, distribution, manufacturing, production, studio, or mixed commercial/residential projects (buyer to verify permitted uses with the City of Los Angeles). Centrally located with excellent access to freeways, transit, and Downtown...

Contact an agent

contact an agent

Yes, I would like more information. Please use and/or share my information with an ERA®  affiliated agent to contact me about my real estate needs. By clicking Send message, I request to be contacted by phone or text message and consent to being contacted by automated means. I understand that my consent to receive calls or texts is not a condition of purchasing any property, goods, or services. Alternatively, I understand that I can access real estate services by email or I can contact the agent myself.

If an ERA®  affiliated agent is not available in the area where I need assistance, I agree to be contacted by a real estate agent affiliated with another brand owned or licensed by Anywhere Real Estate (BHGRE® , CENTURY 21® , Coldwell Banker® , Corcoran® , Sotheby's International Realty® ).
 I acknowledge that I have read and agree to theTerms of useandPrivacy notice

Home facts

  • Listing ID #:SR26005009
  • Added:64 day(s) ago
  • Updated:March 06, 2026 at 11:42 AM

Structure and exterior

  • Lot area:0.19 Acres
  • Lot Features:Irregular Lot

Finances and disclosures

  • Price:$499,999
The information being provided by California Regional MLS (Southern California) is for the consumer's personal, non-commercial use and may not be used for any purpose other than to identify prospective properties consumer may be interested in purchasing. Any information relating to real estate for sale referenced on this web site comes from the Internet Data Exchange (IDX) program of the California Regional MLS (Southern California). ERA Carlile Realty Group is not a Multiple Listing Service (MLS), nor does it offer MLS access. This website is a service of ERA Carlile Realty Group, a broker participant of California Regional MLS (Southern California). This web site may reference real estate listing(s) held by a brokerage firm other than the broker and/or agent who owns this web site. The accuracy of all information, regardless of source, including but not limited to open house information, square footages and lot sizes, is deemed reliable but not guaranteed and should be personally verified through personal inspection by and/or with the appropriate professionals. The data contained herein is copyrighted by California Regional MLS (Southern California) and is protected by all applicable copyright laws. Any unauthorized dissemination of this information is in violation of copyright laws and is strictly prohibited. Copyright 2021 California Regional MLS (Southern California). All rights reserved.