1325 15th Street, Los Osos, CA 93402

Local realty services provided by:Nelson Shelton Real Estate ERA Powered
1325 15th Street,Los Osos, CA 93402
$137,000
  • 0.29 Acres
  • Lots / Land
  • Active
Listed by: debbi crossland
Office: century 21 masters
MLS#:SC25088934
Source:CRMLS

Price summary

  • Price:$137,000

About this home

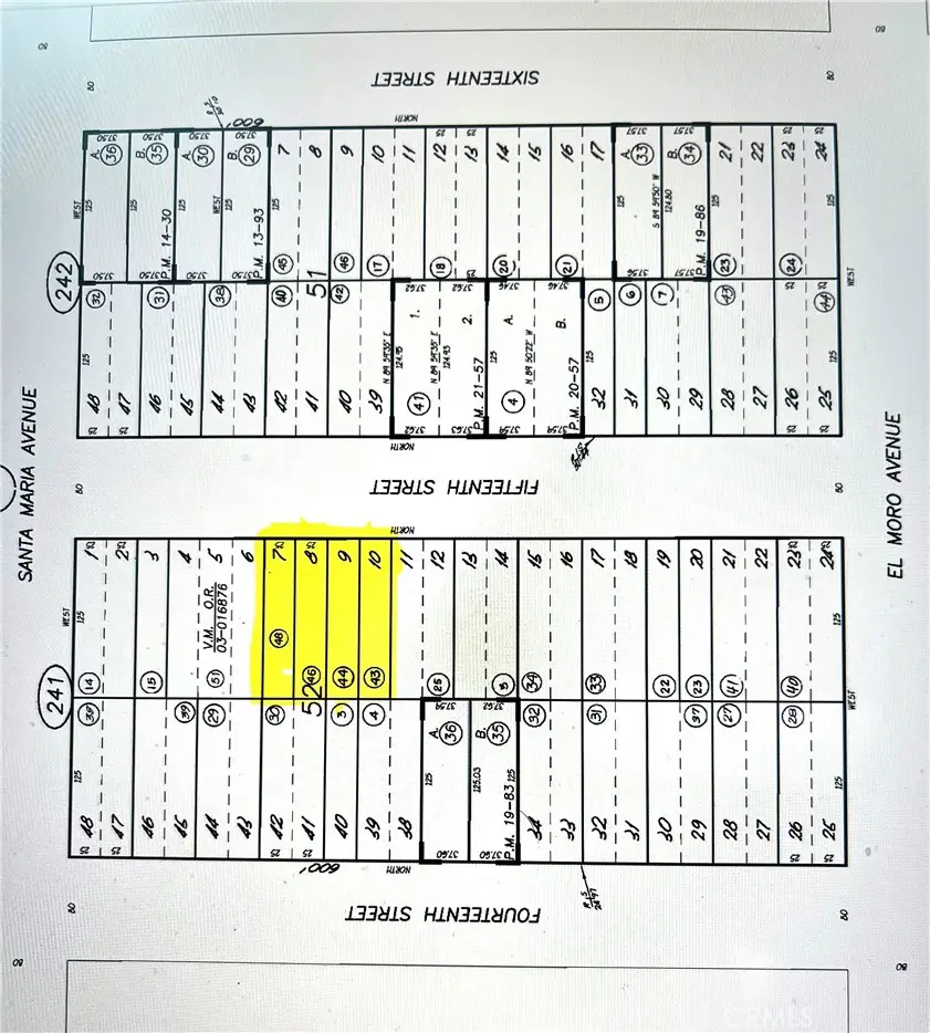
This is an opportunity to purchase a 12,500 sq. ft. unimproved parcel in the bayside community of Los Osos. This is a bulk sale consisting of four adjoining 25' X 125' lots to be sold together, equaling 100' of street frontage. With distant views of the bay, sand dunes, and surrounding hills from street level, it is sure to be a terrific homesite when building is permitted. You'll be a part of a wonderful community offering a coastal lifestyle along with all the amenities this area has to offer. One of the lots is #211 on the Los Osos Waitlist for Building Permits and lot size says 12,500 sq ft. Check with SLO County Dept of Planning & Building to investigate the potential of building on vacant lots in Los Osos. You'll find some great information at https://www.slocounty.ca.gov/departments/planning-building/grid-items/communities-villages/los-osos

Contact an agent

contact an agent

Yes, I would like more information. Please use and/or share my information with an ERA®  affiliated agent to contact me about my real estate needs. By clicking Send message, I request to be contacted by phone or text message and consent to being contacted by automated means. I understand that my consent to receive calls or texts is not a condition of purchasing any property, goods, or services. Alternatively, I understand that I can access real estate services by email or I can contact the agent myself.

If an ERA®  affiliated agent is not available in the area where I need assistance, I agree to be contacted by a real estate agent affiliated with another brand owned or licensed by Anywhere Real Estate (BHGRE® , CENTURY 21® , Coldwell Banker® , Corcoran® , Sotheby's International Realty® ).
 I acknowledge that I have read and agree to theTerms of useandPrivacy notice

Home facts

  • Listing ID #:SC25088934
  • Added:325 day(s) ago
  • Updated:April 05, 2026 at 10:44 AM

Structure and exterior

  • Lot area:0.29 Acres

Utilities

  • Sewer:Sewer Not Available

Finances and disclosures

  • Price:$137,000
The information being provided by California Regional MLS (Southern California) is for the consumer's personal, non-commercial use and may not be used for any purpose other than to identify prospective properties consumer may be interested in purchasing. Any information relating to real estate for sale referenced on this web site comes from the Internet Data Exchange (IDX) program of the California Regional MLS (Southern California). Nelson Shelton Real Estate ERA Powered is not a Multiple Listing Service (MLS), nor does it offer MLS access. This website is a service of Nelson Shelton Real Estate ERA Powered, a broker participant of California Regional MLS (Southern California). This web site may reference real estate listing(s) held by a brokerage firm other than the broker and/or agent who owns this web site. The accuracy of all information, regardless of source, including but not limited to open house information, square footages and lot sizes, is deemed reliable but not guaranteed and should be personally verified through personal inspection by and/or with the appropriate professionals. The data contained herein is copyrighted by California Regional MLS (Southern California) and is protected by all applicable copyright laws. Any unauthorized dissemination of this information is in violation of copyright laws and is strictly prohibited. Copyright 2021 California Regional MLS (Southern California). All rights reserved.