0 Avenue D-8, North Antelope Valley, CA 93535

Local realty services provided by:ERA Donahoe Realty
0 Avenue D-8,Redman, CA 93535
$7,000
  • - Acres
  • Lots / Land
  • Sold
Listed by: steve welty
Office: steve welty & associates inc
MLS#:SW26028398
Source:San Diego MLS via CRMLS

Sorry, we are unable to map this address


Price summary

  • Price:$7,000

About this home

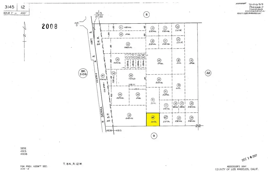
Land of opportunity in the Antelope Valley. This 2.55-acre vacant parcel near Sierra Highway in Lancaster offers excellent potential for agricultural, rural residential, or other A-2-2 Heavy Agricultural, compatible uses. Located in an area of open land and expanding activity, the property provides easy access to Sierra Hwy and surrounding transportation corridors while maintaining a rural setting. No utilities are currently on site, allowing buyers flexibility in planning future improvements. Ideal for investors, agricultural users, or buyers seeking space and long-term upside in Los Angeles County. Buyer to verify zoning, allowable uses, access, and utility availability with the County. ****No soils reports, surveys, etc., have been done. Buyer and buyer's agent to verify all information with the city or county for allowable uses and requirements and rely on their own investigations. **Buyer responsible for checking zoning, utilities, permits and exact property boundaries. ****

Contact an agent

contact an agent

Yes, I would like more information. Please use and/or share my information with an ERA®  affiliated agent to contact me about my real estate needs. By clicking Send message, I request to be contacted by phone or text message and consent to being contacted by automated means. I understand that my consent to receive calls or texts is not a condition of purchasing any property, goods, or services. Alternatively, I understand that I can access real estate services by email or I can contact the agent myself.

If an ERA®  affiliated agent is not available in the area where I need assistance, I agree to be contacted by a real estate agent affiliated with another brand owned or licensed by Anywhere Real Estate (BHGRE® , CENTURY 21® , Coldwell Banker® , Corcoran® , Sotheby's International Realty® ).
 I acknowledge that I have read and agree to theTerms of useandPrivacy notice

Home facts

  • Listing ID #:SW26028398
  • Added:83 day(s) ago
  • Updated:May 01, 2026 at 07:33 PM

Finances and disclosures

  • Price:$7,000
MLS LogoThis information is deemed reliable but not guaranteed. You should rely on this information only to decide whether or not to further investigate a particular property. BEFORE MAKING ANY OTHER DECISION, YOU SHOULD PERSONALLY INVESTIGATE THE FACTS (e.g. square footage and lot size) with the assistance of an appropriate professional. You may use this information only to identify properties you may be interested in investigating further. All uses except for personal, non-commercial use in accordance with the foregoing purpose are prohibited. Redistribution or copying of this information, any photographs or video tours is strictly prohibited. This information is derived from the Internet Data Exchange (IDX) service provided by San Diego MLS®. Displayed property listings may be held by a brokerage firm other than the broker and/or agent responsible for this display. The information and any photographs and video tours and the compilation from which they are derived is protected by copyright. Compilation © 2020 San Diego MLS®, Inc.