0 Avenue E-8, North Antelope Valley, CA 93535

Local realty services provided by:ERA North Orange County Real Estate
0 Avenue E-8,Redman, CA 93535
$19,000
  • 1.28 Acres
  • Lots / Land
  • Active
Listed by: michael douglas
Office: coldwell banker realty949-249-6611
MLS#:OC26042836
Source:CRMLS

Price summary

  • Price:$19,000

About this home

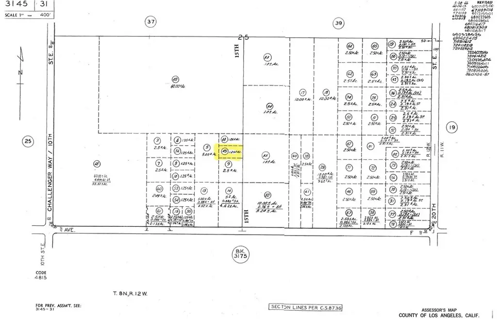
Raw land with real potential. This 1.28-acre parcel sits off 15th Street East, just parcels away from East Avenue F in the unincorporated community of Redman, offering 330 feet of street frontage and wide-open opportunity in the high desert. Zoned LCD21*, the property supports a broad spectrum of light industrial and agricultural uses, giving buyers flexibility to build toward their vision whether that's a contractor's yard, equipment storage, agricultural operation, or a foothold in one of the Antelope Valley's most accessible corridors. Less than 15 minutes to Downtown Lancaster, with straightforward access to major transportation arteries, this parcel combines the breathing room of rural land with the practicality of urban proximity. As Lancaster and the surrounding unincorporated areas continue to attract investment and development, opportunities like this; raw, affordable, and well-positioned, are becoming harder to find. Buyers are encouraged to independently verify zoning...

Contact an agent

contact an agent

Yes, I would like more information. Please use and/or share my information with an ERA®  affiliated agent to contact me about my real estate needs. By clicking Send message, I request to be contacted by phone or text message and consent to being contacted by automated means. I understand that my consent to receive calls or texts is not a condition of purchasing any property, goods, or services. Alternatively, I understand that I can access real estate services by email or I can contact the agent myself.

If an ERA®  affiliated agent is not available in the area where I need assistance, I agree to be contacted by a real estate agent affiliated with another brand owned or licensed by Anywhere Real Estate (BHGRE® , CENTURY 21® , Coldwell Banker® , Corcoran® , Sotheby's International Realty® ).
 I acknowledge that I have read and agree to theTerms of useandPrivacy notice

Home facts

  • Listing ID #:OC26042836
  • Added:66 day(s) ago
  • Updated:May 03, 2026 at 10:43 AM

Structure and exterior

  • Lot area:1.28 Acres
  • Lot Features:Lot Over 40000 Sqft

Finances and disclosures

  • Price:$19,000
The information being provided by California Regional MLS (Southern California) is for the consumer's personal, non-commercial use and may not be used for any purpose other than to identify prospective properties consumer may be interested in purchasing. Any information relating to real estate for sale referenced on this web site comes from the Internet Data Exchange (IDX) program of the California Regional MLS (Southern California). ERA North Orange County Real Estate is not a Multiple Listing Service (MLS), nor does it offer MLS access. This website is a service of ERA North Orange County Real Estate, a broker participant of California Regional MLS (Southern California). This web site may reference real estate listing(s) held by a brokerage firm other than the broker and/or agent who owns this web site. The accuracy of all information, regardless of source, including but not limited to open house information, square footages and lot sizes, is deemed reliable but not guaranteed and should be personally verified through personal inspection by and/or with the appropriate professionals. The data contained herein is copyrighted by California Regional MLS (Southern California) and is protected by all applicable copyright laws. Any unauthorized dissemination of this information is in violation of copyright laws and is strictly prohibited. Copyright 2021 California Regional MLS (Southern California). All rights reserved.