0 Mill Creek Drive, Oak Run, CA 96069
Local realty services provided by:ERA North Orange County Real Estate
0 Mill Creek Drive,Oak Run, CA 96069
$24,900
- 1 Acres
- Lots / Land
- Active
Listed by: donald adamson
Office: loanstar financial760-806-3330
MLS#:ND25269810
Source:CRMLS
Price summary
- Price:$24,900
About this home
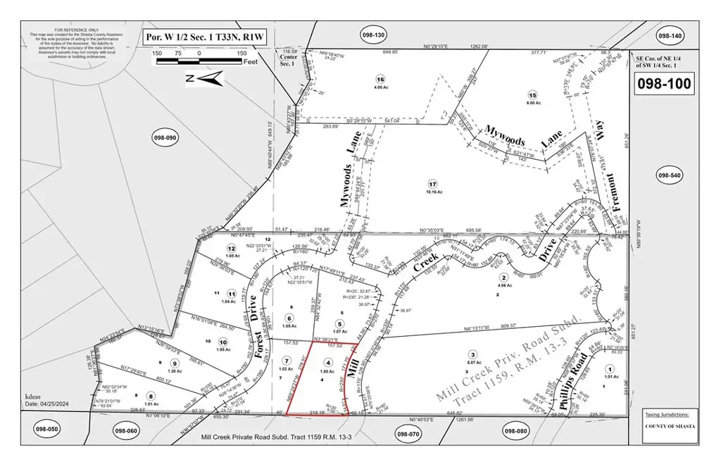
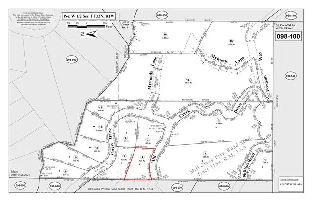
1-acre residential parcel in Oak Run, Shasta County (APN: 098-100-004-000). Rural Residential A zoning supports single-family home construction. No HOA. Dirt road access with established right-of-way via Mill Creek Drive. Electricity served by Corn Belt Energy. High-speed internet via Shasta Beam wireless. Well and septic installation required. Level terrain with mixed Ponderosa Pine and Oak tree coverage at 1,565-foot elevation. Located at 40.74426, -121.92828, approximately 23 miles from Redding via county roads connecting to Interstate 5. Near Shasta Lake and Shasta-Trinity National Forest with access to boating, fishing, hiking, and Pacific Crest Trail. Oak Run Country Store nearby. Priced at $24,900. Buyer to verify all utilities, zoning, and access with Shasta County.
Contact an agent
Home facts
- Listing ID #:ND25269810
- Added:149 day(s) ago
- Updated:May 17, 2026 at 10:48 AM
Structure and exterior
- Lot area:1 Acres
Utilities
- Sewer:Sewer Not Available
Finances and disclosures
- Price:$24,900

