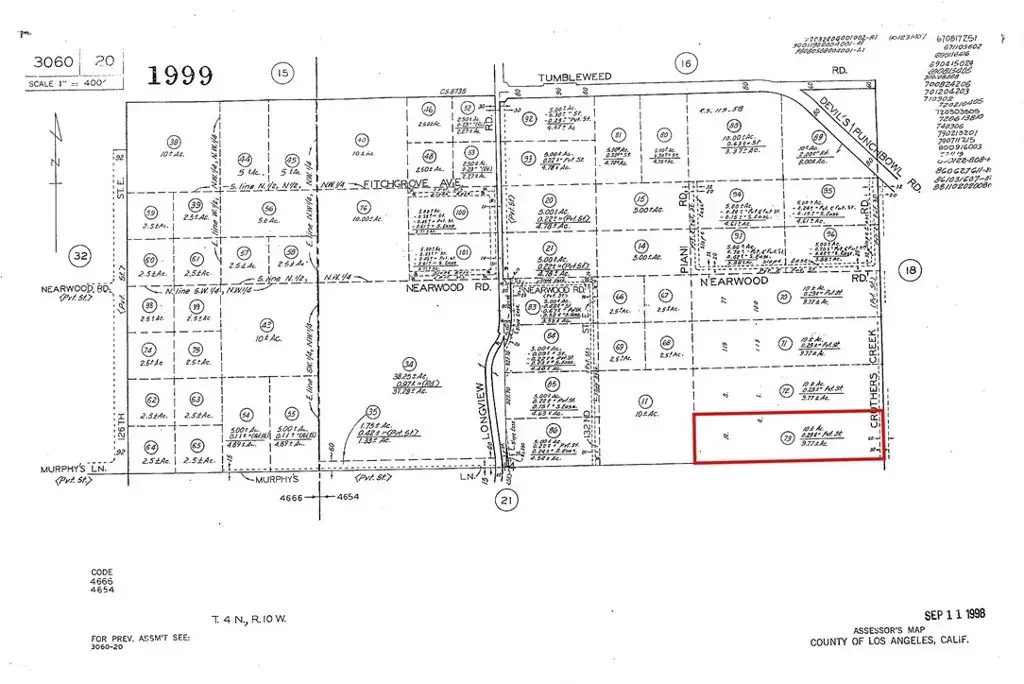
0 Cruthers Creek, Pearblossom, CA 93543
Local realty services provided by:ERA North Orange County Real Estate
0 Cruthers Creek,Juniper Hills, CA 93543
$35,000
- 0 Acres
- Lots / Land
- Active
Listed by: donald adamson
Office: loanstar financial
MLS#:ND25270319
Source:San Diego MLS via CRMLS
Price summary
- Price:$35,000
About this home
Prime 9.85-acre mountain retreat with seller financing available in sought-after Pearblossom area of Los Angeles County at incredible $35,000 price point. This flat, buildable A-1-5 zoned parcel on Cruthers Creek Road offers mountain views, native California scrub oak trees, and excellent development potential just minutes from Juniper Hills recreation and Devil's Punchbowl Natural Area. Electricity available at street with well needed for water and septic for sewer, keeping utility costs manageable while providing off-grid independence. Dirt road access ensures privacy and rural character while remaining accessible year-round. Located at coordinates 34.43429, -117.89004 for easy GPS navigation to this hidden gem in the San Gabriel Mountain foothills. Perfect for custom home construction, agricultural use, recreational retreat, or investment in Los Angeles County's growing rural market where land averages $10,492 per acre - making this $3,553 per acre opportunity exceptional value. The Light Agricultural zoning allows residential development plus farming, horses, or other rural lifestyle activities. Pearblossom's strategic location provides mountain sanctuary living with convenient access to Palmdale shopping and services, while nearby attractions include Pacific Crest Trail, Angeles National Forest camping and hiking, and world-class Devil's Punchbowl geological formations. This rare combination of acreage, affordability, mountain views, buildable terrain, and seller financing creates immediate opportunity for buyers seeking Southern California mountain property without pr
Contact an agent
Home facts
- Listing ID #:ND25270319
- Added:1 day(s) ago
- Updated:December 10, 2025 at 05:29 AM
Finances and disclosures
- Price:$35,000
New listings near 0 Cruthers Creek
- New
$20,000Active0 Acres6 128th East, Juniper Hills, CA 93543
MLS# SR25265914Listed by: HOMESMART EVERGREEN REALTY - New
$30,000Active0 Acres14500 Ave R, Littlerock, CA 93543
MLS# SR25269561Listed by: CENTURY 21 DOUG ANDERSON
$109,000Active0 Acres0 Avenue V10, Pearblossom, CA 93553
MLS# SR25261690Listed by: RED CARPET REALTY
$109,000Active1.52 Acres0 Avenue V10, Pearblossom, CA 93553
MLS# SR25261690Listed by: RED CARPET REALTY
$50,000Active0 Acres0 Vac/pearblossom Hw/vic Longvie, Pearblossom, CA 93553
MLS# SR25259359Listed by: BENCHOFF REAL ESTATE
$70,000Active0 Acres0 Vac/fort Tejon Pav /vic Avenue, Pearblossom, CA 93553
MLS# SR25254609Listed by: ALLISON JAMES ESTATES & HOMES
$265,000Active0 Acres12688 Murphys Lane, Pearblossom, CA 93553
MLS# SR25254531Listed by: KELLER WILLIAMS REALTY ANTELOPE VALLEY
$60,000Active0 Acres124 E Avenue X12, Juniper Hills, CA 93553
MLS# JT25253666Listed by: ROBERSON REALTY
$60,000Active0 Acres0 126th, Juniper Hills, CA 93553
MLS# JT25253691Listed by: ROBERSON REALTY
$529,000Active4 beds 2 baths2,120 sq. ft.29520 Piani, Pearblossom, CA 93553
MLS# SR25253795Listed by: KELLER WILLIAMS REALTY ANTELOPE VALLEY