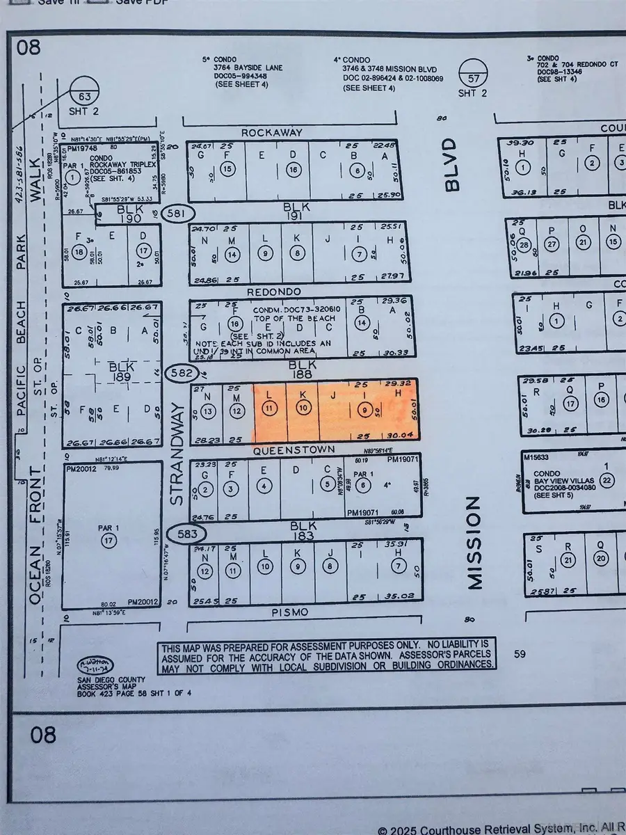
3756-58 Mission Blvd #H,I,J,K,L, San Diego, CA 92109

Local realty services provided by:ERA North Orange County Real Estate
3756-58 Mission Blvd #H,I,J,K,L,San Diego, CA 92109
$4,900,000
  • 0 Acres
  • Lots / Land
  • Active
Listed by:ronald r fletcher
Office:fletcher team, inc
MLS#:250024354
Source:San Diego MLS via CRMLS

Price summary

  • Price:$4,900,000

About this home

5 buildable lots, making up of a Commercial building approx 3950 soft on 3 lots, plus 2 additional lots. 1st time on the market in decades, Beach close less the 200 feet to the sand. Build 5 single family homes and enjoy the beach.

Contact an agent

contact an agent

Yes, I would like more information from ERA®. Please use and/or share my information with an ERA affiliated agent to contact me about my real estate needs. By clicking Send message, I agree an ERA affiliated agent may contact me by phone or text message including by automated means about real estate services, and that I can access real estate services without providing my phone number. I acknowledge that I have read and agree to theTerms of useandPrivacy notice

Home facts

  • Listing ID #:250024354
  • Added:176 day(s) ago
  • Updated:October 06, 2025 at 01:53 PM

Utilities

  • Water:Meter on Property

Finances and disclosures

  • Price:$4,900,000
MLS LogoThis information is deemed reliable but not guaranteed. You should rely on this information only to decide whether or not to further investigate a particular property. BEFORE MAKING ANY OTHER DECISION, YOU SHOULD PERSONALLY INVESTIGATE THE FACTS (e.g. square footage and lot size) with the assistance of an appropriate professional. You may use this information only to identify properties you may be interested in investigating further. All uses except for personal, non-commercial use in accordance with the foregoing purpose are prohibited. Redistribution or copying of this information, any photographs or video tours is strictly prohibited. This information is derived from the Internet Data Exchange (IDX) service provided by San Diego MLS®. Displayed property listings may be held by a brokerage firm other than the broker and/or agent responsible for this display. The information and any photographs and video tours and the compilation from which they are derived is protected by copyright. Compilation © 2020 San Diego MLS®, Inc.