0 Stenson Avenue, Sylmar, CA 91342

Local realty services provided by:ERA Excel Realty
0 Stenson Avenue,Sylmar, CA 91342
$150,000
  • 0.11 Acres
  • Lots / Land
  • Active
Listed by: wanda magana
Office: loanstar financial760-806-3330
MLS#:ND26037335
Source:CRMLS

Price summary

  • Price:$150,000

About this home

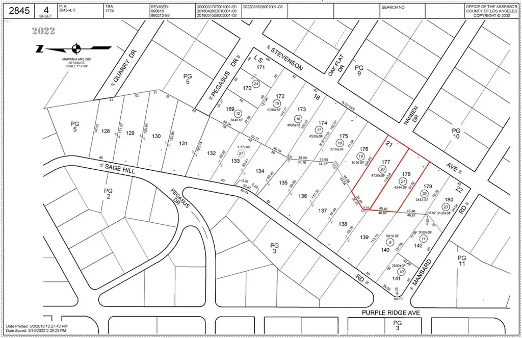
Two adjacent residential vacant lots in Sylmar, CA are being sold together as a combined package, offering approximately 9,041 square feet of flat, buildable land with no HOA restrictions. APNs 2845-004-020 and 2845-004-021 sit along Stenson Ave in the northern Los Angeles County community of Sylmar, surrounded by existing homes — a clear signal that infrastructure and neighborhood character are already established in the area. The level topography and flat slope eliminate the grading challenges common to hillside lots in the region, making this a more straightforward path to breaking ground for buyers planning a single-family residence. Electricity is available via power lines along the street, and the lots feature some existing trees that add natural character to the site. Buyers are encouraged to conduct independent due diligence regarding water and sewer connectivity, as utility status is currently unverified. Access is via dirt road. Sylmar offers convenient proximity to the 210...

Contact an agent

contact an agent

Yes, I would like more information. Please use and/or share my information with an ERA®  affiliated agent to contact me about my real estate needs. By clicking Send message, I request to be contacted by phone or text message and consent to being contacted by automated means. I understand that my consent to receive calls or texts is not a condition of purchasing any property, goods, or services. Alternatively, I understand that I can access real estate services by email or I can contact the agent myself.

If an ERA®  affiliated agent is not available in the area where I need assistance, I agree to be contacted by a real estate agent affiliated with another brand owned or licensed by Anywhere Real Estate (BHGRE® , CENTURY 21® , Coldwell Banker® , Corcoran® , Sotheby's International Realty® ).
 I acknowledge that I have read and agree to theTerms of useandPrivacy notice

Home facts

  • Listing ID #:ND26037335
  • Added:72 day(s) ago
  • Updated:May 03, 2026 at 10:43 AM

Structure and exterior

  • Lot area:0.11 Acres

Utilities

  • Sewer:Sewer Not Available

Finances and disclosures

  • Price:$150,000
The information being provided by California Regional MLS (Southern California) is for the consumer's personal, non-commercial use and may not be used for any purpose other than to identify prospective properties consumer may be interested in purchasing. Any information relating to real estate for sale referenced on this web site comes from the Internet Data Exchange (IDX) program of the California Regional MLS (Southern California). ERA Excel Realty is not a Multiple Listing Service (MLS), nor does it offer MLS access. This website is a service of ERA Excel Realty, a broker participant of California Regional MLS (Southern California). This web site may reference real estate listing(s) held by a brokerage firm other than the broker and/or agent who owns this web site. The accuracy of all information, regardless of source, including but not limited to open house information, square footages and lot sizes, is deemed reliable but not guaranteed and should be personally verified through personal inspection by and/or with the appropriate professionals. The data contained herein is copyrighted by California Regional MLS (Southern California) and is protected by all applicable copyright laws. Any unauthorized dissemination of this information is in violation of copyright laws and is strictly prohibited. Copyright 2021 California Regional MLS (Southern California). All rights reserved.