0 White Birch Lane, Middlebury, CT 06762

Local realty services provided by:ERA Treanor Real Estate
0 White Birch Lane,Middlebury, CT 06762
$1,600,000
  • 29 Acres
  • Lots / Land
  • Active
Listed by: donna kennedy(917) 669-2642
Office: compass connecticut, llc(203) 290-2477
MLS#:24141986
Source:CT

Price summary

  • Price:$1,600,000

About this home

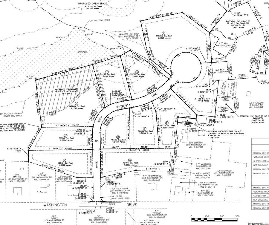
Attention Builders, Developers, and Investors: fully approved 10 LOT Subdivision for sale in the charming town of Middlebury, CT (29 Acres total) With comprehensive approvals in place including Planning & Zoning, Wetlands, and Health Department clearances, you can get straight to work developing your vision. Each lot is designed to feature a private well and connection to public sewer. Middlebury is celebrated for its vibrant community and exceptional quality of life. Residents enjoy access to an array of amenities including top-rated schools and a variety of restaurants ranging from cozy cafes to sophisticated dining experiences. The town also boasts beautiful parks, recreational facilities, and cultural attractions, providing ample opportunities for leisure and engagement. Minutes to I-84, Lake Quassapaug, Quassy Amusment & Waterpark. This subdivision offers developers a rare chance to create a unique residential enclave in a desirable location, blending the tranquility of nature...

Contact an agent

contact an agent

Yes, I would like more information. Please use and/or share my information with an ERA®  affiliated agent to contact me about my real estate needs. By clicking Send message, I request to be contacted by phone or text message and consent to being contacted by automated means. I understand that my consent to receive calls or texts is not a condition of purchasing any property, goods, or services. Alternatively, I understand that I can access real estate services by email or I can contact the agent myself.

If an ERA®  affiliated agent is not available in the area where I need assistance, I agree to be contacted by a real estate agent affiliated with another brand owned or licensed by Anywhere Real Estate (BHGRE® , CENTURY 21® , Coldwell Banker® , Corcoran® , Sotheby's International Realty® ).
 I acknowledge that I have read and agree to theTerms of useandPrivacy notice

Home facts

  • Listing ID #:24141986
  • Added:138 day(s) ago
  • Updated:April 12, 2026 at 11:34 AM

Structure and exterior

  • Lot area:29 Acres
  • Lot Features:Borders Open Space, In Subdivision, Lightly Wooded, Secluded, Some Wetlands

Schools

  • High school:Per Board of Ed
  • Elementary school:Per Board of Ed

Utilities

  • Water:Private Well

Finances and disclosures

  • Price:$1,600,000
  • Tax amount:$3,268 (July 2025-June 2026)
The data relating to real estate for sale on this website appears in part through the SMARTMLS Internet Data Exchange program, a voluntary cooperative exchange of property listing data between licensed real estate brokerage firms, and is provided by SMARTMLS through a licensing agreement. Listing information is from various brokers who participate in the SMARTMLS IDX program and not all listings may be visible on the site. The property information being provided on or through the website is for the personal, non-commercial use of consumers and such information may not be used for any purpose other than to identify prospective properties consumers may be interested in purchasing. Some properties which appear for sale on the website may no longer be available because they are for instance, under contract, sold or are no longer being offered for sale. Property information displayed is deemed reliable but is not guaranteed. Copyright 2026 SmartMLS, Inc.