107 Lake View Drive, Pomona Park, FL 32181
Local realty services provided by:ERA Fernandina Beach Realty
107 Lake View Drive,Pomona Park, FL 32181
$15,000
- 0.31 Acres
- Lots / Land
- Active
Listed by:matthew clellan barnes
Office:iheart realty inc
MLS#:2104745
Source:JV
Price summary
- Price:$15,000
About this home
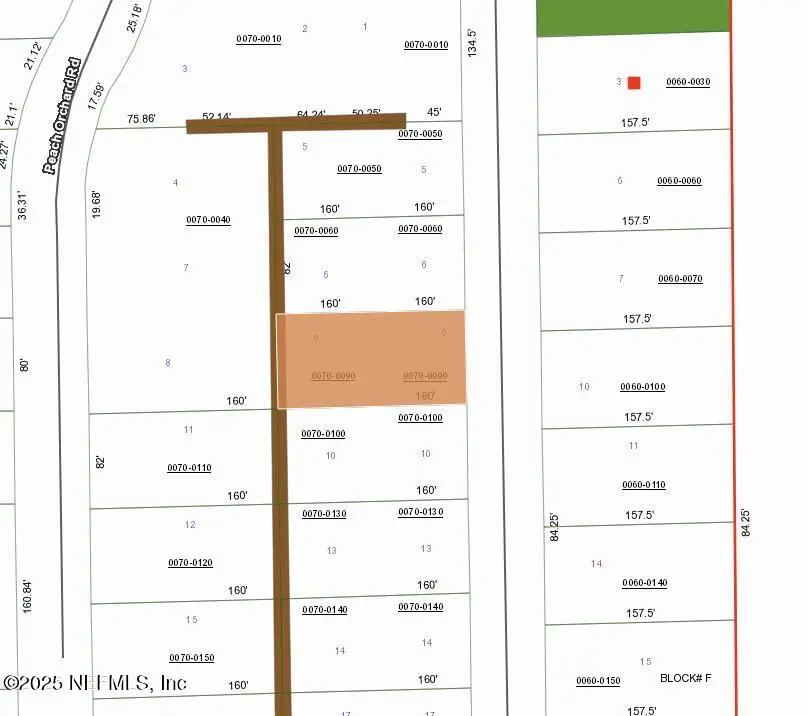
Discover your future in the tranquil and picturesque town of Pomona Park, Florida! This beautiful .30-acre vacant lot offers the perfect blend of peaceful, rural living and exciting future growth. Located in a quiet and established area of town, you'll enjoy a serene escape from the hustle and bustle. This property is also a strategic investment, as it's just a short drive from Welaka, the ''Bass Capital of the World,'' which is a potential site for a new Bass Pro Shops resort development. This highly anticipated project is expected to bring significant economic and recreational opportunities to the area, making this lot's location even more desirable. Whether you're looking to build your permanent residence, a weekend fishing retreat, or make a smart investment, this lot has it all. What makes this opportunity even better is that the owner has a total of four adjoining lots available. You can purchase them all together to create a spacious 1.2-acre homesite.
Contact an agent
Home facts
- Listing ID #:2104745
- Added:45 day(s) ago
- Updated:October 04, 2025 at 12:44 PM
Structure and exterior
- Lot area:0.31 Acres
Finances and disclosures
- Price:$15,000
- Tax amount:$83 (2024)
New listings near 107 Lake View Drive
- New$321,900Active3 beds 2 baths1,296 sq. ft.
172 Porpoise Road, Pomona Park, FL 32181
MLS# 2111600Listed by: CENTURY 21 TRITON REALTY - New$715,900Active3 beds 2 baths1,920 sq. ft.
135 Lake Como Drive, Pomona Park, FL 32181
MLS# 2111585Listed by: WATSON REALTY CORP - New$499,500Active3 beds 2 baths2,332 sq. ft.
113 Lake Como Point Road, Pomona Park, FL 32181
MLS# 2111460Listed by: COLDWELL BANKER BEN BATES INC - $268,500Active3 beds 2 baths1,678 sq. ft.
125 Coconut Street, Pomona Park, FL 32181
MLS# 2109411Listed by: CENTURY 21 TRITON REALTY - $111,900Pending3 beds 1 baths1,731 sq. ft.
107 Cherakee Lane, Pomona Park, FL 32181
MLS# 2109232Listed by: CENTURY 21 TRITON REALTY - $173,500Active2 beds 1 baths672 sq. ft.
204 W Main Street, Pomona Park, FL 32181
MLS# 2109143Listed by: CASTILLO REAL ESTATE JAX - $250,000Active8 beds 3 baths4,449 sq. ft.
116 E Main St, Pomona Park, FL 32181
MLS# 255207Listed by: WATSON REALTY CORP (A1A) - $275,000Active3 beds 4 baths1,728 sq. ft.
155 Tompkins Road, Pomona Park, FL 32181
MLS# 2106984Listed by: KELLER WILLIAMS REALTY ATLANTIC PARTNERS ST. AUGUSTINE - $194,900Active3 beds 2 baths1,440 sq. ft.
109 Idlewood Acres Road, Pomona Park, FL 32181
MLS# 2107272Listed by: EXP REALTY LLC - $188,900Active3 beds 2 baths1,200 sq. ft.
127 Oak Haven Road, Pomona Park, FL 32181
MLS# 2105899Listed by: LANTERN REALTY, LLC.