204 &205 Angela Drive, Augusta, GA 30907
Local realty services provided by:ERA Strother Real Estate
204 &205 Angela Drive,Augusta, GA 30907
$99,000
- 1.21 Acres
- Lots / Land
- Active
Listed by: sharon quarles
Office: blanchard & calhoun - sn
MLS#:550816
Source:NC_CCAR
Price summary
- Price:$99,000
About this home
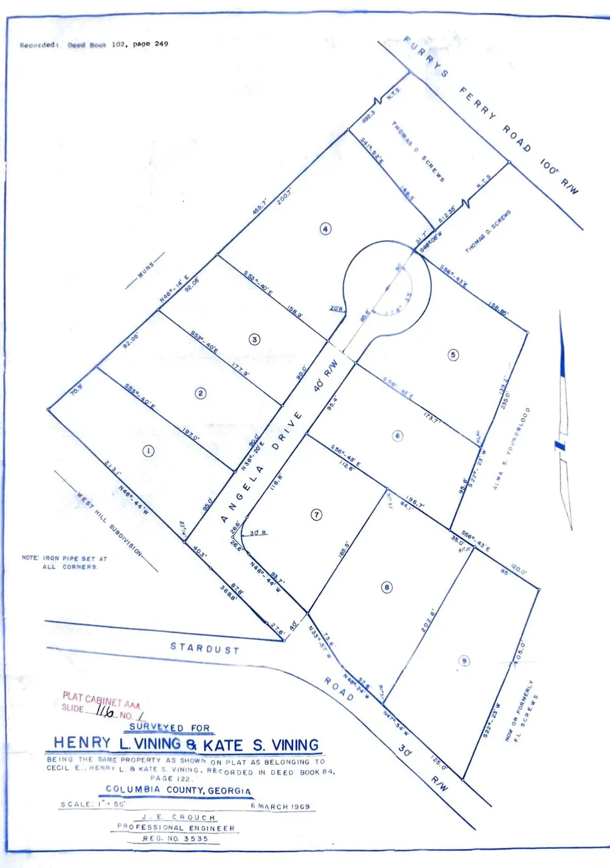
Investor Special in Columbia County! This is for 2 parcels, 204 and 205 Angela Drive. Approx 3 acres of undeveloped land in the heart of Martinez between Furys Ferry and Baston Rd! The plat on file with Columbia County has 6 lots and a cul de sac road on file, and is ready to apply for development (see pics for plat). Sewer and water on property at Stardust and Angela, see photo. This is an amazing opportunity for a developer, investors, or someone looking to build their home, in town, on acreage with no HOA!! Zoned R-3 (7500 sqft lots). Being sold as-is. Enter the property from Angela Dr. off of Stardust only. As a courtesy please schedule walk through in Showingtime.
Contact an agent
Home facts
- Listing ID #:550816
- Added:119 day(s) ago
- Updated:May 10, 2026 at 10:14 AM
Structure and exterior
- Lot area:1.21 Acres
- Lot Features:Wooded
Schools
- High school:Lakeside
- Middle school:Stallings Island
- Elementary school:Stevens Creek
Finances and disclosures
- Price:$99,000
New listings near 204 &205 Angela Drive
- New
$198,000Active2 beds 3 baths1,424 sq. ft.3013 Creek View Court, Augusta, GA 30907
MLS# 223335Listed by: MEYBOHM REAL ESTATE - AUGUSTA - New
$198,000Active2 beds 1 baths1,064 sq. ft.1514 Pendleton Road, Augusta, GA 30904
MLS# 223323Listed by: PALMER & CO. - New
$149,900Active3 beds 2 baths1,695 sq. ft.2930 Rollingwood Drive, Augusta, GA 30906
MLS# 10760423Listed by: Trelora Realty, Inc. - New
$298,500Active3 beds 2 baths2,214 sq. ft.4321 Regans Lane, Augusta, GA 30909
MLS# 10760449Listed by: Coldwell Banker Watson & Knox - New
$79,000Active2 beds 1 baths960 sq. ft.1106 12th Street, Augusta, GA 30901
MLS# 555680Listed by: MEYBOHM REAL ESTATE - EVANS - New
$195,000Active2 beds 3 baths1,706 sq. ft.2915 Running Creek Lane, Augusta, GA 30907
MLS# 555681Listed by: CENTURY 21 MAGNOLIA - New
$205,000Active3 beds 3 baths1,574 sq. ft.2312 Creekview Drive, Augusta, GA 30907
MLS# 555648Listed by: MEYBOHM REAL ESTATE - EVANS - New
$284,900Active4 beds 3 baths2,013 sq. ft.606 Todd Road, Augusta, GA 30907
MLS# 555671Listed by: BLANCHARD & CALHOUN - SN - New
$329,900Active4 beds 3 baths2,206 sq. ft.1305 Batchelor Court, Augusta, GA 30909
MLS# 555673Listed by: SOUTHEASTERN RESIDENTIAL, LLC - New
$110,000Active4 beds 2 baths1,526 sq. ft.2955 Shelby Drive, Augusta, GA 30906
MLS# 555665Listed by: KELLER WILLIAMS REALTY AUGUSTA PARTNERS