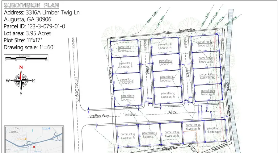
3316a Limber Twig Lane, Augusta, GA 30906
Local realty services provided by:ERA Strother Real Estate
3316a Limber Twig Lane,Augusta, GA 30906
$195,000
- 0 Acres
- Lots / Land
- Active
Listed by:daniel demers
Office:sell your home services
MLS#:545852
Source:NC_CCAR
Price summary
- Price:$195,000
About this home
This 3.95-acre parcel located at 3316A Limber Twig Ln. presents a unique investment opportunity with flexible zoning, level lot, paved access, No flood zone per Richmond county GIS map, utilities available, public sewer, No HOA. Allowing for both residential and limited commercial use. Perfect opportunity for an investor/developer. This lot is about a 10 minute drive to National Golf Club and the Medical District as well as Downtown Augusta and 5 minute drive to Augusta Regional Airport. Per seller, proposed 17-lot subdivision site plan, included with this listing, has already been reviewed and deemed compliant.
Price reduced for quick sale.
Contact an agent
Home facts
- Listing ID #:545852
- Added:17 day(s) ago
- Updated:November 03, 2025 at 11:15 AM
Schools
- High school:Butler Comp.
- Middle school:Richmond Hill K-8
- Elementary school:Richmond Hill K-8
Finances and disclosures
- Price:$195,000
New listings near 3316a Limber Twig Lane
- New
$420,730Active5 beds 5 baths3,481 sq. ft.706 Hollis Avenue, Grovetown, GA 30813
MLS# 548870Listed by: D.R. HORTON REALTY OF GEORGIA, INC. - New
$249,900Active4 beds 2 baths1,669 sq. ft.1725 Tamarind Way, Augusta, GA 30906
MLS# 548865Listed by: RE/MAX REINVENTED - New
$360,000Active3 beds 2 baths2,472 sq. ft.2413 Woodbluff Court Court, Augusta, GA 30909
MLS# 548861Listed by: DOUGLAS LANE REAL ESTATE GROUP - New
$199,900Active4 beds 3 baths2,086 sq. ft.2114 Rosier Road, Augusta, GA 30906
MLS# 548859Listed by: FORTUNE SMART HOMES REAL ESTAT - New
$48,000Active3 beds 1 baths1,020 sq. ft.1033 6th Avenue, Augusta, GA 30901
MLS# 548860Listed by: LOKATION REAL ESTATE, LLC - New
$315,000Active3 beds 2 baths1,969 sq. ft.3101 Trafalgar Drive Drive, Augusta, GA 30909
MLS# 548855Listed by: BLANCHARD & CALHOUN - New
$340,000Active4 beds 1 baths2,500 sq. ft.1304 Dominica Drive, Augusta, GA 30909
MLS# 548846Listed by: CENTURY 21 MAGNOLIA - Open Tue, 12:30am to 1:45pmNew
$152,200Active3 beds 2 baths1,317 sq. ft.3460 Mcalpine Drive, Augusta, GA 30906
MLS# 548844Listed by: LOKATION REAL ESTATE, LLC - New
$269,000Active2 beds 2 baths1,976 sq. ft.1230 Brookstone Way, Augusta, GA 30909
MLS# 548845Listed by: RE/MAX REINVENTED - New
$104,900Active3 beds 2 baths1,080 sq. ft.1017 Stevens Creek Road, Augusta, GA 30907
MLS# 548841Listed by: RE/MAX TRUE ADVANTAGE