5790 Maxham Road, Austell, GA 30168
Local realty services provided by:ERA Sunrise Realty
5790 Maxham Road,Austell, GA 30168
$399,900
- 1.3 Acres
- Lots / Land
- Active
Listed by: michael oden
Office: dreamhometoday.net
MLS#:7723202
Source:FIRSTMLS
Price summary
- Price:$399,900
About this home
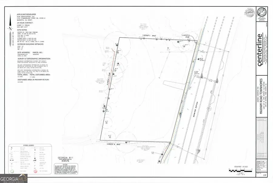
Shovel-ready infill townhome opportunity in Austell (Cobb County) with APPROVED land-disturbance/site development permit. This ±1.21-acre tract at 5790 Maxham Rd SW, Austell, GA 30168 (Parcel #18002900090) is engineered for a 10-unit single family townhome development with staged erosion control, full civil plan set, and City approvals already in place—ideal for a small residential developer looking to skip months of upfront entitlement time.
The stamped plans reference Cobb County Permit No. SPR-2024-00178 and include City of Austell Public Works approval (7/23/2025) and Zoning approval (7/30/2025). The plan set also documents total disturbed area ±1.11 acres, site setbacks (front/rear 30’, side 10’), and parking math supporting the 10-unit program (garages + guest spaces).
Utilities and infrastructure groundwork are well-defined & sewer easement on file at Cobb County: sanitary sewer & water sheets are included, and a fire hydrant flow test/24-hr test letter for the site is part of the package—helpful documentation for fast-tracking utility coordination and vertical permitting. Bring your product, pricing, and build team—this one is positioned for a clean handoff from dirt to doors!
No waiting, start building today!...
Contact an agent
Home facts
- Year built:1950
- Listing ID #:7723202
- Updated:May 14, 2026 at 01:25 PM
Structure and exterior
- Year built:1950
- Lot area:1.3 Acres
- Architectural Style:Ranch
Schools
- High school:South Cobb
- Middle school:Garrett
- Elementary school:Austell
Utilities
- Water:Water Available
- Sewer:Sewer Available
Finances and disclosures
- Price:$399,900
- Tax amount:$1,412 (2025)
New listings near 5790 Maxham Road
- New
$339,900Active5 beds 3 baths2,758 sq. ft.Address Withheld By Seller, Austell, GA 30168
MLS# 7770149Listed by: VIRTUAL PROPERTIES REALTY.COM - New
$285,000Active3 beds 2 baths1,424 sq. ft.1707 Old Alabama Road, Austell, GA 30168
MLS# 7769854Listed by: COLDWELL BANKER REALTY - Open Sat, 12 to 2pmNew
$315,000Active3 beds 3 baths2,274 sq. ft.1184 Flamingo Drive, Austell, GA 30168
MLS# 7769679Listed by: ZACH TAYLOR REAL ESTATE - New
$195,000Active5 beds 2 baths1,809 sq. ft.4131 Hicks Road, Austell, GA 30106
MLS# 7769691Listed by: COX & COMPANY REAL ESTATE, LLC. - New
$197,000Active2 beds 3 baths1,056 sq. ft.2057 Lenoa Lane, Austell, GA 30106
MLS# 7769381Listed by: VIRTUAL PROPERTIES REALTY.COM - New
$325,000Active3 beds 2 baths1,428 sq. ft.5940 John Street, Austell, GA 30106
MLS# 10762574Listed by: Holliday + Co. Realty - New
$315,000Active3 beds 2 baths1,821 sq. ft.2396 Wales Drive, Austell, GA 30106
MLS# 10762530Listed by: Atlanta Communities - New
$328,000Active4 beds 3 baths1,806 sq. ft.4769 Nature Trail, Austell, GA 30106
MLS# 7768854Listed by: MARK SPAIN REAL ESTATE - New
$299,900Active3 beds 2 baths1,932 sq. ft.5382 Janet Lane, Austell, GA 30106
MLS# 7768816Listed by: HOMESMART - New
$175,000Active2 beds 1 baths1,080 sq. ft.5679 Perk Street, Austell, GA 30106
MLS# 7768850Listed by: ANSLEY REAL ESTATE