2671 Harbins Road Se, Bethlehem, GA 30620
Local realty services provided by:ERA Towne Square Realty, Inc.
2671 Harbins Road Se,Bethlehem, GA 30620
$1,400,000
- 19.5 Acres
- Lots / Land
- Active
Listed by: meridith simes, lindsey hardy770-822-2499
Office: hill wood realty, llc.
MLS#:7672799
Source:FIRSTMLS
Price summary
- Price:$1,400,000
About this home
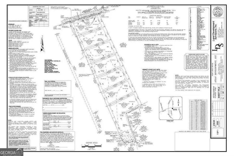
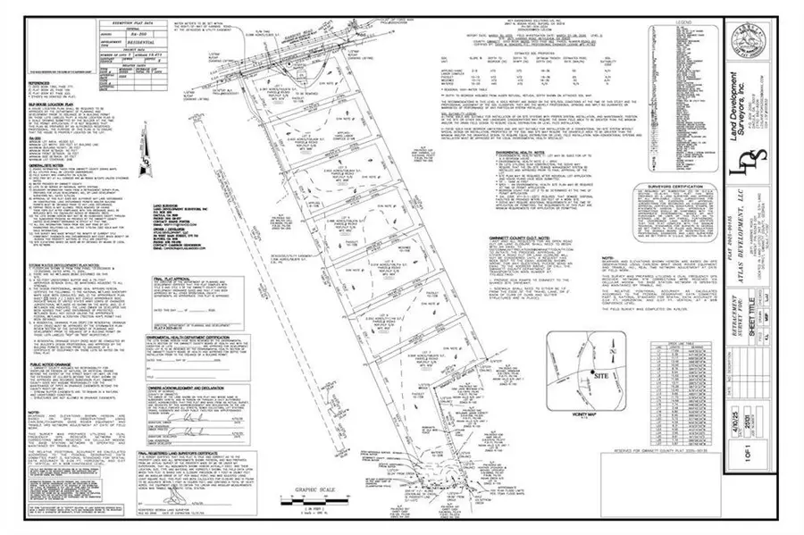
Outstanding Builder & Developer Opportunity in Gwinnett County! Situated along scenic Harbins Road, this 19.5-acre property offers seven expansive, fully platted estate lots ranging from 2.387 to 4.568 acres. The land features beautiful, gently sloping topography—perfect for custom homes. Located just minutes from Hwy 316 in a rapidly growing area, this site is surrounded by luxury homes priced between $1.4M and $1.8M on nearby Indian Shoals Road. A new middle school is coming soon, adding even more value to this in-demand corridor. Buyer will be responsible for installing the shared driveway, connecting utilities (water, electricity, septic), and removing the existing house currently on the property. A rare chance to build in one of the most sought-after growth areas in Gwinnett County!
Contact an agent
Home facts
- Year built:1917
- Listing ID #:7672799
- Updated:November 19, 2025 at 02:52 PM
Structure and exterior
- Year built:1917
- Lot area:19.5 Acres
Schools
- High school:Archer
- Middle school:McConnell
- Elementary school:Harbins
Finances and disclosures
- Price:$1,400,000
- Tax amount:$2,182 (2024)
New listings near 2671 Harbins Road Se
- New
$75,000Active0.56 Acres2412 Snowshoe Bend, Bethlehem, GA 30620
MLS# 10646019Listed by: RAC Properties of Athens, Inc. - New
$275,000Active3 beds 2 baths1,428 sq. ft.350 Punkin Junction Road, Bethlehem, GA 30620
MLS# 7683160Listed by: COLDWELL BANKER REALTY - New
$388,990Active4 beds 3 baths2,095 sq. ft.456 Otway Loop, Bethlehem, GA 30620
MLS# 7682790Listed by: STARLIGHT HOMES GEORGIA REALTY LLC - New
$396,990Active4 beds 3 baths2,279 sq. ft.104 Rowlett Place, Bethlehem, GA 30620
MLS# 7682743Listed by: STARLIGHT HOMES GEORGIA REALTY LLC - New
$425,000Active4 beds 3 baths2,509 sq. ft.1856 Whitley Road, Bethlehem, GA 30620
MLS# 7675401Listed by: EXP REALTY, LLC. - New
$347,500Active4 beds 3 baths1,940 sq. ft.7357 Raleigh Way, Bethlehem, GA 30620
MLS# CL343829Listed by: GREATER ATHENS PROPERTIES - New
$599,900Active7 beds 4 baths5,120 sq. ft.2521 Culpepper Trace, Bethlehem, GA 30620
MLS# 7680802Listed by: ALGIN REALTY, INC. - New
$449,900Active5 beds 4 baths3,208 sq. ft.308 Silverleaf Trail, Bethlehem, GA 30620
MLS# 7680101Listed by: ASHTON WOODS REALTY, LLC - New
$369,000Active4 beds 3 baths1,783 sq. ft.480 Raider Way, Bethlehem, GA 30620
MLS# 7679444Listed by: GA REALTY EXPERTS
$350,000Active4 beds 3 baths2,229 sq. ft.637 Sleeping Meadow Lane, Bethlehem, GA 30620
MLS# 7678705Listed by: KELLER WILLIAMS NORTH ATLANTA