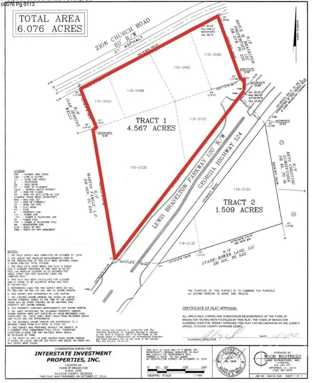
00 Zion Church & Hwy 124 Road, Braselton, GA 30517
Local realty services provided by:ERA Strother Real Estate
00 Zion Church & Hwy 124 Road,Braselton, GA 30517
$1,499,900
- 4.57 Acres
- Lots / Land
- Active
Listed by: james hester
Office: bhhs georgia properties (athen
MLS#:CL349423
Source:NC_CCAR
Price summary
- Price:$1,499,900
About this home
Well located vacant commercial development tract located on Hwy 124 (aka Lewis Braselton Blvd) in the city of Braselton. The subject site consists of 4.567 Acres and has excellent visibility from I-85 NB lanes and excellent access with double road frontage on Zion Church Rd and a full GDOT curb cut w/median on Hwy 124 (Lewis Braselton Blvd). Pretty level topo, all underground utilities on Hwy 124, and Gen Comm zoning in place makes this site ready for development and has great potential for retail, office, medical, hospitality uses. Please inquire for info.
Contact an agent
Home facts
- Listing ID #:CL349423
- Added:93 day(s) ago
- Updated:May 23, 2026 at 10:11 AM
Structure and exterior
- Lot area:4.57 Acres
Finances and disclosures
- Price:$1,499,900
New listings near 00 Zion Church & Hwy 124 Road
- New
$347,900Active3 beds 3 baths1,609 sq. ft.6825 White Walnut Way, Braselton, GA 30517
MLS# 10770244Listed by: The Norton Agency - New
$429,000Active4 beds 3 baths1,875 sq. ft.125 Osprey Overlook Drive, Braselton, GA 30517
MLS# 10770388Listed by: eXp Realty - New
$989,900Active3 beds 5 baths4,771 sq. ft.1978 Forest View Way, Braselton, GA 30517
MLS# 10770103Listed by: BHHS Georgia Properties - New
$1,725,000Active5 beds 6 baths7,368 sq. ft.5222 Legends Drive, Braselton, GA 30517
MLS# 10770161Listed by: Funari Realty LLC - Coming Soon
$469,000Coming Soon4 beds 3 baths9864 Elderberry Pointe, Braselton, GA 30517
MLS# 10770050Listed by: Hill Wood Realty - New
$444,900Active4 beds 3 baths2,044 sq. ft.5914 Green Ash Court, Braselton, GA 30517
MLS# 10770080Listed by: Keller Williams Realty Atl. Partners - New
$400,000Active4 beds 3 baths2,559 sq. ft.776 New Liberty Way, Braselton, GA 30517
MLS# 10769659Listed by: Veribas Real Estate - New
$359,900Active4 beds 3 baths2,548 sq. ft.317 Franklin Street, Braselton, GA 30517
MLS# 7768849Listed by: BETTER HOMES GA PROPERTIES , LLC. - New
$350,000Active3 beds 2 baths4542 Trellis Way, Braselton, GA 30517
MLS# 10769353Listed by: Dorsey Alston, Realtors - New
$510,000Active4 beds 3 baths2,701 sq. ft.7660 Silk Tree Pointe, Braselton, GA 30517
MLS# 10769084Listed by: ACE Realty