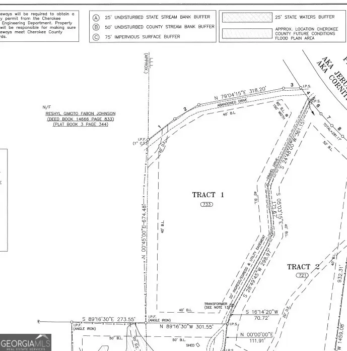
733 Pleasant Union Road, Canton, GA 30114
Local realty services provided by:ERA Sunrise Realty
733 Pleasant Union Road,Canton, GA 30114
$350,000
- 8.28 Acres
- Lots / Land
- Active
Listed by:hank miller678-428-8276
Office:ansley real estate| christie's international real estate
MLS#:7568017
Source:FIRSTMLS
Price summary
- Price:$350,000
About this home
SELLER IS CORRECTING THE POSITION OF THE DRIVEWAY. IT WILL BE MOVED INTO THE AREA DRAWN ON THE SURVEY FOR THE DRIVEWAY EASEMENT. IT IS BEST TO HOLD OFFERES UNTIL THIS IS RESOLVED, LIKELY INTO DEC '25. This is Tract 1 on the survey. Private, peaceful, and ready for your dream home! Discover the perfect blend of natural beauty and convenience with this exceptional parcel of land. Tucked away in a quiet, private setting, the property features a beautiful mix of mature hardwoods—no pine in sight—and gently rolling terrain that makes building a breeze. This beautiful parcel offers the ideal backdrop for an estate-style home, gentleman’s farm, or multi-generational family compound. Whatever you're envisioning, you'll find multiple ideal home sites scattered throughout the open meadows and shaded woodlands. A long, private gravel driveway is already in place and shared with just two other parcels, adding to the secluded feel without sacrificing accessibility. Public water is available, and the location is hard to beat—just minutes from Canton and Jasper, with easy access to major roads and only about 45 minutes to Atlanta. This is a rare opportunity to own a piece of serene North Georgia land with all the right elements in place.
Contact an agent
Home facts
- Listing ID #:7568017
- Updated:October 15, 2025 at 01:20 PM
Structure and exterior
- Lot area:8.28 Acres
Schools
- High school:Cherokee
- Middle school:Teasley
- Elementary school:R. M. Moore
Utilities
- Water:Water Available
Finances and disclosures
- Price:$350,000
New listings near 733 Pleasant Union Road
- Coming Soon$435,000Coming Soon4 beds 3 baths
963 Mill Creek Avenue, Canton, GA 30115
MLS# 7664135Listed by: KELLER WILLIAMS NORTH ATLANTA - Coming Soon$2,550,000Coming Soon4 beds 5 baths
1510 Batesville Road, Canton, GA 30115
MLS# 7666101Listed by: RE/MAX METRO ATLANTA CITYSIDE - Coming Soon$499,900Coming Soon3 beds 2 baths
309 Sassafras Crossing, Canton, GA 30115
MLS# 7661877Listed by: CENTURY 21 CONNECT REAL ESTATE - New$520,000Active4 beds 4 baths2,718 sq. ft.
303 N Rampart Street, Canton, GA 30114
MLS# 7666010Listed by: EXP REALTY, LLC. - Coming Soon$399,000Coming Soon4 beds 2 baths
7618 Vaughn Road, Canton, GA 30115
MLS# 7665847Listed by: MARK SPAIN REAL ESTATE - Open Sat, 1 to 4pmNew$865,000Active4 beds 5 baths4,383 sq. ft.
619 Blackwater Ridge, Canton, GA 30114
MLS# 7661337Listed by: WATKINS REAL ESTATE ASSOCIATES - New$329,900Active3 beds 3 baths1,361 sq. ft.
115 Ilex Drive, Canton, GA 30114
MLS# 7665725Listed by: SOLUTIONS FIRST REALTY, LLC. - New$400,000Active3 beds 3 baths1,426 sq. ft.
3018 Heatherbrook Trace, Canton, GA 30114
MLS# 7665315Listed by: 1 LOOK REAL ESTATE - New$360,000Active3 beds 3 baths1,868 sq. ft.
922 Gardenia Curve, Canton, GA 30114
MLS# 7665263Listed by: VIRTUAL PROPERTIES REALTY.COM - New$730,000Active6 beds 5 baths4,396 sq. ft.
148 Reddin Drive, Canton, GA 30114
MLS# 7664938Listed by: ORCHARD BROKERAGE LLC