2080 Tilson Road, Decatur, GA 30032
Local realty services provided by:ERA Hirsch Real Estate Team
2080 Tilson Road,Decatur, GA 30032
$3,600,000
- 4.2 Acres
- Lots / Land
- Active
Listed by: emiko yang
Office: bhhs georgia properties
MLS#:10638291
Source:METROMLS
Price summary
- Price:$3,600,000
About this home
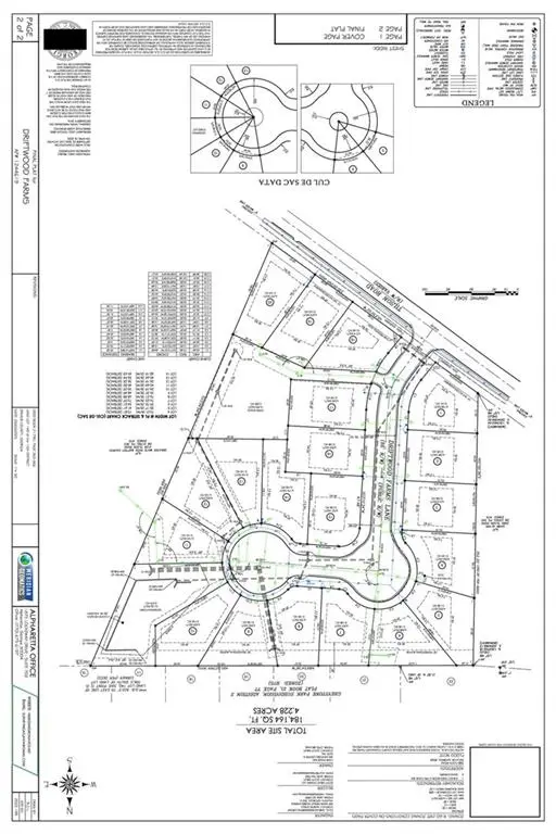
Calling all builders and developers-an exceptional intown opportunity awaits! This 4.2-acre residential site is zoned for 20 single-family homes and is located in a well-established neighborhood just minutes from I-20. A retention pond, paved roads, sidewalks, street lamps, and underground utilities have already been installed as part of the preliminary infrastructure, which is now awaiting the necessary approvals from Dekalb County. HOA documents have also been created and will be available upon request at closing. The seller plans to apply for final plat approval. The surrounding area is experiencing strong growth, with multiple new single-family and townhome communities nearby-reflecting steady demand for new construction. Within approximately two miles, new homes served by the same middle and high schools have recently sold from the low $500Ks to low $600Ks. Adding to the momentum, Solace Grove-a new 125-unit senior housing community-is under construction directly behind the property. Enjoy unbeatable convenience to major destinations: Downtown Atlanta (7.4 miles), Downtown Decatur (4.6 miles), East Lake Golf Course (2 miles), and Georgia State University's Perimeter Campus (3.4 miles), along with quick access to I-20, local shopping, dining, and schools. This is a prime opportunity to create a new boutique subdivision in one of metro Atlanta's strategically connected and rapidly evolving intown corridors-ideal for builders and developers seeking a well-positioned site with excellent future potential....
Contact an agent
Home facts
- Listing ID #:10638291
- Updated:March 31, 2026 at 10:43 AM
Structure and exterior
- Lot area:4.2 Acres
- Lot Features:City Lot, Level
Schools
- High school:Mcnair
- Middle school:Mcnair
- Elementary school:Ronald E McNair
Utilities
- Water:Public, Water Available
- Sewer:Public Sewer, Sewer Available
Finances and disclosures
- Price:$3,600,000
- Tax amount:$22,553 (2025)
New listings near 2080 Tilson Road
- New
$299,000Active4 beds 3 baths1,751 sq. ft.3862 Northstrand Drive, Decatur, GA 30035
MLS# 7742779Listed by: INTERNATIONAL REAL ESTATE DREAM, LLC. - New
$699,900Active3 beds 2 baths2543 Midway Road, Decatur, GA 30030
MLS# 10721279Listed by: eXp Realty - Coming Soon
$415,000Coming Soon4 beds 3 baths2737 Autumn Lake Lane, Decatur, GA 30034
MLS# 10721267Listed by: Virtual Properties Realty.Net - New
$210,000Active3 beds 2 baths1,232 sq. ft.3817 Skidmore Drive, Decatur, GA 30034
MLS# 10721241Listed by: Keller Williams Atlanta Classic - New
$310,000Active3 beds 3 baths2,786 sq. ft.4043 Casa Loma Drive, Decatur, GA 30034
MLS# 7744019Listed by: THE GOLDIN GROUP PROPERTY MANAGEMENT - Coming Soon
$650,000Coming Soon4 beds 3 baths1547 Conway Road Se, Decatur, GA 30032
MLS# 7743818Listed by: ATLANTA FINE HOMES SOTHEBY'S INTERNATIONAL - New
$410,000Active5 beds 4 baths3,088 sq. ft.3569 Woods Drive, Decatur, GA 30032
MLS# 10721012Listed by: Keller Williams Community Partners - New
$252,000Active3 beds 2 baths925 sq. ft.3741 Loren Drive, Decatur, GA 30032
MLS# 7727782Listed by: MAINSTAY BROKERAGE LLC - Coming Soon
$699,000Coming Soon3 beds 3 baths6 Wilburn Court, Decatur, GA 30030
MLS# 7743712Listed by: ATLANTA FINE HOMES SOTHEBY'S INTERNATIONAL - New
$69,999Active1 beds 2 baths1,008 sq. ft.3506 Sleeping Fawn Knolls, Decatur, GA 30034
MLS# 7743753Listed by: KELLER WILLIAMS REALTY ATL PARTNERS