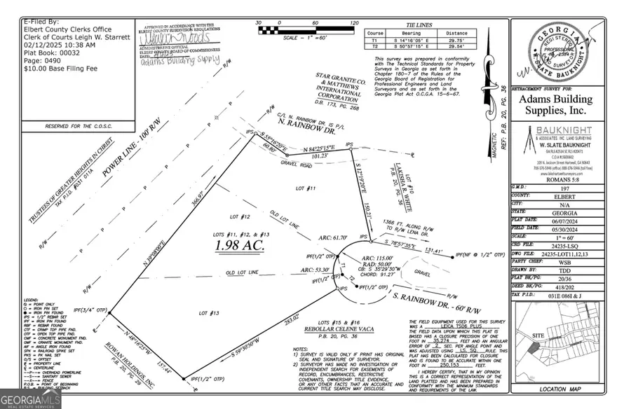
0 South Rainbow Drive S, Elberton, GA 30635
Local realty services provided by:ERA Sunrise Realty
0 South Rainbow Drive S,Elberton, GA 30635
$28,000
- 1.98 Acres
- Lots / Land
- Active
Listed by: andrea anderegg
Office: adams realty, inc.
MLS#:10708208
Source:METROMLS
Price summary
- Price:$28,000
About this home
Are you seeking a prime lot ready for a new home? Vacant .60-acre lot on Rainbow Drive, Elberton, Georgia. A new plat of survey and soil work have been completed, making it ready for you to submit for septic approval and permit, and obtain a building permit to construct or place a mobile home on the lot. Contact us today. Additional lots are available for purchase in the subdivision, and mobile homes are welcome.
Contact an agent
Home facts
- Listing ID #:10708208
- Updated:May 12, 2026 at 10:49 AM
Structure and exterior
- Lot area:1.98 Acres
- Lot Features:Private
Schools
- High school:Elbert
- Middle school:Elbert
- Elementary school:Elbert
Utilities
- Water:Public, Water Available
- Sewer:Septic Tank
Finances and disclosures
- Price:$28,000
- Tax amount:$83 (2025)
New listings near 0 South Rainbow Drive S
- New
$55,000Active3.94 Acres0 Big Oak Drive, Elberton, GA 30635
MLS# 10761496Listed by: Keller Williams Greater Athens - New
$210,000Active11.34 Acres1208 Hornets Bridge Drive, Elberton, GA 30635
MLS# 10761032Listed by: James O. Hayes Realty Inc. - New
$135,000Active3 beds 2 baths1,463 sq. ft.1021 Smith Andrews Drive, Elberton, GA 30635
MLS# 10758395Listed by: EXIT For Sale Realty - New
$199,000Active22.07 Acres0 Ruckersville Road, Elberton, GA 30635
MLS# 10757828Listed by: Southern Land Exchange - New
$149,500Active2 beds 1 baths736 sq. ft.2134 Bobby Brown Park Rd, Elberton, GA 30635
MLS# 10756855Listed by: Savannah Valley Land Co. - New
$349,900Active3 beds 2 baths2,122 sq. ft.522 Woodland Road, Elberton, GA 30635
MLS# 10755900Listed by: RE/MAX Complete
$299,000Active3 beds 3 baths1,800 sq. ft.410 Ridgecrest Drive, Elberton, GA 30635
MLS# 10753219Listed by: EXIT For Sale Realty
$38,999Active1.72 Acres1050 Regina Ct, Elberton, GA 30635
MLS# 10742538Listed by: Landmark Realty Group
$506,000Active110 Acres0 Brewer's Bridge Road, Elberton, GA 30635
MLS# 10742394Listed by: Nichols Land & Investment Co.
$68,000Active1.56 Acres2917 Ruckersville Road, Elberton, GA 30635
MLS# 10742260Listed by: Coldwell Banker Upchurch Realty