7072 Highway 59, Lavonia, GA 30553

Local realty services provided by:ERA Towne Square Realty, Inc.
7072 Highway 59,Lavonia, GA 30553
$925,000
  • 6.88 Acres
  • Lots / Land
  • Active
Listed by: c v
Office: virtual properties realty.com
MLS#:7720959
Source:FIRSTMLS

Price summary

  • Price:$925,000

About this home

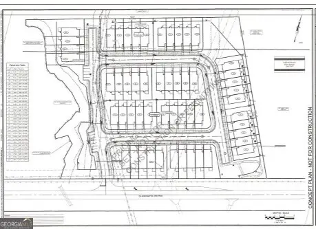
Prime Development Opportunity in Lavonia, GA! 54 Townhome Lots located in the City of Lavonia ready for LDP submission. Reserve at Clear Creek offers 6.9 acres of exceptional development potential—perfectly positioned for a new townhome project. Situated close to the the hospital and approximately 1 mile from Interstate 85, the property provides excellent connectivity to major employment centers and surrounding communities. Located along Highway 59, this site features a sewer line running along the frontage, further enhancing its readiness for immediate build-out. Prime location near I-85, hospital, and major employers, Strong growth corridor with increasing residential demand Whether you’re ready to finalize construction plans or seeking a shovel-ready development in one of Northeast Georgia’s most rapidly growing markets, Reserve at Clear Creek delivers the perfect blend of location, infrastructure, and opportunity.

Contact an agent

contact an agent

Yes, I would like more information. Please use and/or share my information with an ERA®  affiliated agent to contact me about my real estate needs. By clicking Send message, I request to be contacted by phone or text message and consent to being contacted by automated means. I understand that my consent to receive calls or texts is not a condition of purchasing any property, goods, or services. Alternatively, I understand that I can access real estate services by email or I can contact the agent myself.

If an ERA®  affiliated agent is not available in the area where I need assistance, I agree to be contacted by a real estate agent affiliated with another brand owned or licensed by Anywhere Real Estate (BHGRE® , CENTURY 21® , Coldwell Banker® , Corcoran® , Sotheby's International Realty® ).
 I acknowledge that I have read and agree to theTerms of useandPrivacy notice

Home facts

  • Listing ID #:7720959
  • Updated:May 22, 2026 at 01:29 PM

Structure and exterior

  • Lot area:6.88 Acres
  • Lot Features:Creek On Lot

Schools

  • High school:Franklin County
  • Middle school:Franklin County
  • Elementary school:Lavonia

Utilities

  • Water:Water Available
  • Sewer:Sewer Available

Finances and disclosures

  • Price:$925,000
  • Tax amount:$3,321 (2025)
MLS LogoListings identified with the FMLS IDX logo come from FMLS and are held by brokerage firms other than the owner of this website. The listing brokerage is identified in any listing details. Information is deemed reliable but is not guaranteed. If you believe any FMLS listing contains material that infringes your copyrighted work please click here (https://www.fmls.com/dmca) to review our DMCA policy and learn how to submit a takedown request. ©2026 First Multiple Listing Service, Inc.