976 S Laney Road, Locust Grove, GA 30248
Local realty services provided by:ERA Kings Bay Realty
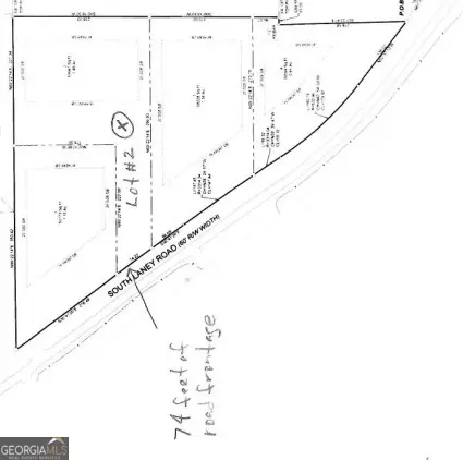
976 S Laney Road,Locust Grove, GA 30248
$45,000
- 1.46 Acres
- Lots / Land
- Active
Listed by: kasie pier
Office: century 21 crowe realty
MLS#:10636363
Source:METROMLS
Price summary
- Price:$45,000
About this home
Looking for the perfect place to build your forever home? This beautiful 1.46-acre lot on S Laney Road in Locust Grove might just be it!Nestled in a quiet, established area with that small-town charm Locust Grove is known for, this property offers the best of both worlds-peaceful country living with easy access to I-75, local schools, and shopping. The lot is level, spacious, and ready for your dream home design. Seller will provide a current survey, making your building process even smoother. Whether you're ready to break ground or just planning ahead, this one is worth a look!
Contact an agent
Home facts
- Listing ID #:10636363
- Updated:November 15, 2025 at 11:44 AM
Structure and exterior
- Lot area:1.46 Acres
Schools
- High school:Locust Grove
- Middle school:Locust Grove
- Elementary school:New Hope
Utilities
- Water:Public, Water Available
- Sewer:Septic Tank
Finances and disclosures
- Price:$45,000
- Tax amount:$604 (24)
New listings near 976 S Laney Road
- New
$400,000Active5 beds 3 baths3,024 sq. ft.7562 Watson Circle, Locust Grove, GA 30248
MLS# 7682005Listed by: SELECT REALTY ADVISORS, LLC - New
$499,900Active5 beds 4 baths3,123 sq. ft.165 Caraway Road, Locust Grove, GA 30248
MLS# 10642743Listed by: SouthSide, REALTORS - New
$356,900Active3 beds 2 baths1,953 sq. ft.1516 Big Bud Lane, Locust Grove, GA 30248
MLS# 10642976Listed by: LGI Homes Realty LLC - New
$449,900Active4 beds 3 baths2,732 sq. ft.111 Cardell Farms Road, Locust Grove, GA 30248
MLS# 10643693Listed by: Welcome Home Real Estate Group - New
$349,900Active5 beds 3 baths2,950 sq. ft.1220 Nottley Drive, Locust Grove, GA 30248
MLS# 10643501Listed by: Magnolia Real Estate Co by Dee - New
$395,400Active4 beds 3 baths4007 Madison Acres Drive, Locust Grove, GA 30248
MLS# 10644368Listed by: Greenpath Real Estate - New
$386,790Active4 beds 3 baths2,525 sq. ft.999 Singley Drive Lot 10 #LOT 10, Locust Grove, GA 30248
MLS# 10643779Listed by: SouthSide, REALTORS - Open Sat, 11 to 3pmNew
$564,993Active5 beds 4 baths4,021 sq. ft.804 Wetherford Court, Locust Grove, GA 30248
MLS# 7681193Listed by: DRB GROUP GEORGIA, LLC - Open Sat, 2 to 4pmNew
$398,000Active5 beds 3 baths3,159 sq. ft.512 Vickers Lane, Locust Grove, GA 30248
MLS# 7681024Listed by: KELLER WILLIAMS REALTY ATL PART - Open Sat, 11am to 3pmNew
$549,993Active5 beds 4 baths4,008 sq. ft.274 Linford Drive, Locust Grove, GA 30248
MLS# 7681017Listed by: DRB GROUP GEORGIA, LLC