4318 Hester Town Road, Madison, GA 30650
Local realty services provided by:ERA Towne Square Realty, Inc.



4318 Hester Town Road,Madison, GA 30650
$1,695,000
- 122 Acres
- Lots / Land
- Active
Listed by:tony ruchti
Office:keller williams realty atl partners
MLS#:7493403
Source:FIRSTMLS
Price summary
- Price:$1,695,000
About this home
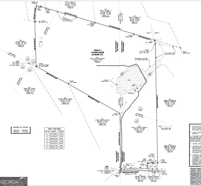
Beautiful 122 acres split evenly between Walton and Morgan counties provide endless opportunity for the next owner. 5 acre pond provides recreation in swimming, boating, and fishing. Pine timber covers 66% of property with 2 age groups potentially providing immediate and future income with the remaining property covered in hardwoods. There is a drilled well and electricity currently at the pond but not in use. This is a sportsman's paradise with fishing/hunting with pigs, deer, turkey, ducks, and geese currently on property. Developers, this property has Walton County water not more than 700 feet away from property. Continuous road frontage on Hester Town Road consists of roughly 60 feet in Walton county and 550 feet in Morgan County. Nestled directly in between Good Hope, Bostwick, and I-20 or new Rivian facility this has endless potential for above average appreciation for years to come. Property is currently under conservation in both Walton and Morgan counties under the estate. Private guided tours only.
Contact an agent
Home facts
- Listing Id #:7493403
- Updated:August 19, 2025 at 01:24 PM
Structure and exterior
- Lot area:122 Acres
Schools
- High school:Morgan County
- Middle school:Morgan County
- Elementary school:Morgan County
Utilities
- Water:Water Available
Finances and disclosures
- Price:$1,695,000
- Tax amount:$1,429 (2023)
New listings near 4318 Hester Town Road
- New
$1,598,000Active4 beds 3 baths3,555 sq. ft.4410 Lower Apalachee Road, Madison, GA 30650
MLS# 10586627Listed by: Breco Realty & Investments - New
$749,900Active5 beds 3 baths3,486 sq. ft.5251 Bostwick Hwy, Madison, GA 30650
MLS# 10586632Listed by: All Star Homes and Land Inc - New
$415,000Active2 beds 2 baths1,960 sq. ft.1042 Creekwood Circle, Madison, GA 30650
MLS# 10586510Listed by: Keller Williams Lake Oconee - New
$1,806,700Active203 Acres0 Seven Islands Road, Madison, GA 30650
MLS# 10585751Listed by: Orbit Real Estate Partners - New
$364,900Active3 beds 2 baths2,436 sq. ft.2141 Greensboro Road, Madison, GA 30650
MLS# 10585609Listed by: Algin Realty, Inc. - New
$625,000Active3 beds 3 baths2,190 sq. ft.991 Crawford Street, Madison, GA 30650
MLS# 10584542Listed by: Ansley Real Estate - New
$989,000Active3 beds 4 baths3,517 sq. ft.665 E Walton Street, Madison, GA 30650
MLS# 10584104Listed by: Keller Williams Lake Oconee
$518,900Active3 beds 3 baths1,904 sq. ft.757 Markhams Drive, Madison, GA 30650
MLS# 10577643Listed by: Drake Realty Lake Area, LLC- New
$224,900Active10.18 Acres1121 Apalachee Meadows Drive, Madison, GA 30650
MLS# 10582103Listed by: High Point Real Estate Group - New
$724,900Active3 beds 2 baths2,472 sq. ft.642 Billups Avenue, Madison, GA 30650
MLS# 10582025Listed by: Breco Realty & Investments