0 Pine Grove Road, Tallapoosa, GA 30176
Local realty services provided by:ERA Kings Bay Realty
0 Pine Grove Road,Tallapoosa, GA 30176
$99,500
- 11.06 Acres
- Lots / Land
- Active
Listed by: chad manion
Office: richland capital, llc.
MLS#:10645588
Source:METROMLS
Price summary
- Price:$99,500
About this home
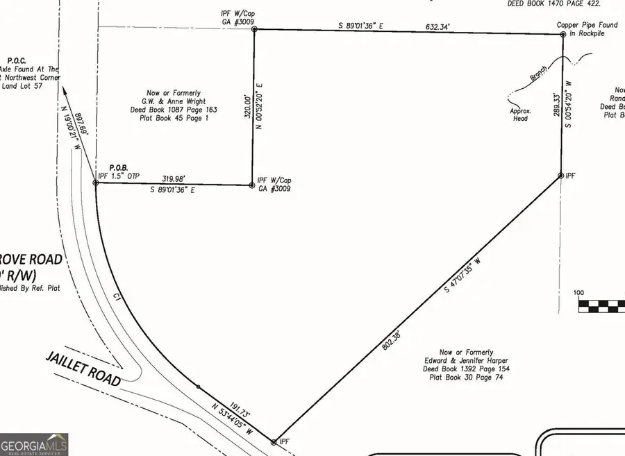
This is a super nice 11.057-acre vacant homesite in Tallapoosa, located just north of Hwy 78 on Pine Grove Road. Public water is available. Power is located nearby (extension needed). A passing soil test is included with multiple passing test sites. The site has over 600' of frontage on Pine Grove Road, a paved county-maintained road. You have to walk the property to appreciate its beauty and serenity. The property has been undisturbed for several years. It has easy topography from the road leading slightly uphill to a large mostly level area across the front half of the property with multiple homesite locations to choose from. Roughly halfway back from the road, the topography begins to descend to a small creek, which flows into a 20+ acre lake located just off the rear property line. The view of the nearby lake from the rear property line is amazing. The presence of multiple water sources combined with mature tree growth creates an ideal environment to support a rich and diverse wildlife population. A new survey is included and the boundaries have been clearly marked with pink flags. Full information package available upon request. Owner/agent
Contact an agent
Home facts
- Listing ID #:10645588
- Updated:January 07, 2026 at 02:30 PM
Structure and exterior
- Lot area:11.06 Acres
Schools
- High school:Haralson County
- Middle school:Haralson County
- Elementary school:Tallapoosa Primary
Utilities
- Water:Public, Water Available
- Sewer:Perc Test On File
Finances and disclosures
- Price:$99,500
- Tax amount:$499 (2024)
New listings near 0 Pine Grove Road
- New
$315,000Active4 beds 3 baths2,652 sq. ft.63 Gold Creek Drive, Tallapoosa, GA 30176
MLS# 10665300Listed by: Robert Goolsby Real Estate Grp - New
$329,900Active4 beds 2 baths1,760 sq. ft.229 Almon Avenue, Tallapoosa, GA 30176
MLS# 10663213Listed by: Real South Realty
$25,000Active1 AcresLOT13 Mcdonald Ridge, Tallapoosa, GA 30176
MLS# 10656943Listed by: Real South Realty
$25,000Active1 AcresLOT 11 Mcdonald Ridge, Tallapoosa, GA 30176
MLS# 10657041Listed by: Real South Realty
$314,900Active3 beds 2 baths1,297 sq. ft.466 Mount Zion Church Road, Tallapoosa, GA 30176
MLS# 10659320Listed by: Century 21 Novus Realty
$55,000Active4.26 Acres0 Broad Street, Tallapoosa, GA 30176
MLS# 10658637Listed by: Magnolia Realty Co.
$40,000Active2 Acres0 Broad Street, Tallapoosa, GA 30176
MLS# 10657342Listed by: Triple R Real Estate LLC
$25,000Active1 Acres0 Mcdonald Ridgw, Tallapoosa, GA 30176
MLS# 10657044Listed by: Real South Realty
$25,000Active1 Acres0 Mcdonald Ridge, Tallapoosa, GA 30176
MLS# 7691855Listed by: REAL SOUTH REALTY, LLC
$25,000Active1 Acres00 Mcdonald Ridge, Tallapoosa, GA 30176
MLS# 7691858Listed by: REAL SOUTH REALTY, LLC