Lot 39 Placid Road, Epworth, IA 52045
Local realty services provided by:Graf Real Estate ERA Powered
Lot 39 Placid Road,Epworth, IA 52045
$100,000
- - Beds
- - Baths
- - sq. ft.
- Farm
- Active
Listed by:craig byers
Office:q4 real estate
MLS#:2406659
Source:IA_CRAAR
Price summary
- Price:$100,000
About this home
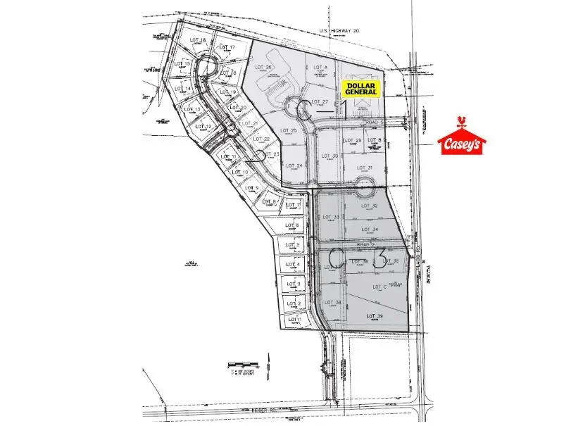
Prime development lots ranging from 0.299 to 9.455 acres in the vibrant Dubuque Metropolitan Area, specifically located in Epworth. These meticulously selected lots offer convenient access to Highway 20, Highway 151, and Dubuque, ensuring seamless transportation and enhanced visibility. Whether planning a dynamic residential community or a bustling commercial hub, this strategic location provides an ideal canvas for innovative projects. Notably, Dollar General has already secured Lot 28 within this new and upcoming development.
Contact an agent
Home facts
- Listing ID #:2406659
- Added:367 day(s) ago
- Updated:September 11, 2025 at 03:18 PM
Structure and exterior
- Lot area:1.15 Acres
Schools
- High school:Western Dubuque
- Middle school:Drexler
- Elementary school:Epworth
Utilities
- Water:Public
Finances and disclosures
- Price:$100,000
- Tax amount:$58,371
New listings near Lot 39 Placid Road
- $152,000Active-- beds -- baths
Lot 30 Road 1, Epworth, IA 52045
MLS# 2406646Listed by: Q4 REAL ESTATE - $106,200Active-- beds -- baths
Lot 31 Road 3, Epworth, IA 52045
MLS# 2406648Listed by: Q4 REAL ESTATE - $80,400Active-- beds -- baths
Lot 32 Road 3, Epworth, IA 52045
MLS# 2406649Listed by: Q4 REAL ESTATE - $82,100Active-- beds -- baths
Lot 33 Road 1, Epworth, IA 52045
MLS# 2406651Listed by: Q4 REAL ESTATE - $37,100Active-- beds -- baths
Lot 36 Road 2, Epworth, IA 52045
MLS# 2406656Listed by: Q4 REAL ESTATE - $59,500Active-- beds -- baths
Lot 29 Road 5, Epworth, IA 52045
MLS# 2406642Listed by: Q4 REAL ESTATE - $74,000Active-- beds -- baths
Lot 34 Road 2, Epworth, IA 52045
MLS# 2406653Listed by: Q4 REAL ESTATE - $62,700Active-- beds -- baths
Lot 35 Road 2, Epworth, IA 52045
MLS# 2406655Listed by: Q4 REAL ESTATE - $57,300Active-- beds -- baths
Lot 37 Road 1, Epworth, IA 52045
MLS# 2406657Listed by: Q4 REAL ESTATE