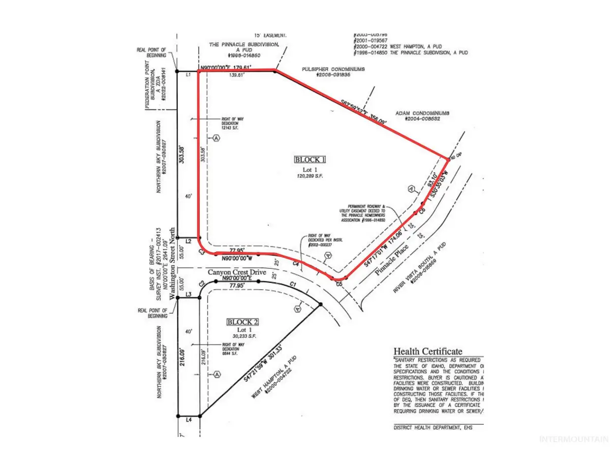
TBD. 3.035 acre Washington St N, Twin Falls, ID 83301
Local realty services provided by:ERA West Wind Real Estate
TBD. 3.035 acre Washington St N,Twin Falls, ID 83301
$2,043,835
- 3.03 Acres
- Lots / Land
- Active
Listed by: adam hess, walt hessMain: 208-734-0400
Office: gem state realty inc
MLS#:98973075
Source:ID_IMLS
Price summary
- Price:$2,043,835
About this home
Exceptional 3.03-acre commercial development site located near the highly visible, high-traffic intersection of Washington Street and Pole Line Road, close to the Snake River Canyon. The site anchors the entrance to a well-established, high-end business park with a mix of professional offices, service providers, and restaurants. Nearby strong national and regional tenants offers outstanding exposure, convenient access, and available utilities. Its strategic location places your business within one of Twin Falls’ most established and high-performing commercial corridors. Ideal for retail, restaurant, office, or medical development, this site provides an excellent opportunity to position your brand in a thriving and highly sought-after market
Contact an agent
Home facts
- Listing ID #:98973075
- Added:61 day(s) ago
- Updated:April 01, 2026 at 02:02 PM
Structure and exterior
- Lot area:3.03 Acres
Utilities
- Water:City Service
Finances and disclosures
- Price:$2,043,835
- Tax amount:$13,398 (2025)
New listings near TBD. 3.035 acre Washington St N
- New
$724,990Active5 beds 3 baths2,998 sq. ft.2441 Blick Lane, Twin Falls, ID 83301
MLS# 98980144Listed by: 208 REAL ESTATE, LLC - TWIN FALLS - New
$535,000Active3 beds 2 baths2,004 sq. ft.1841 Canyon Park Ct, Twin Falls, ID 83301
MLS# 98980129Listed by: COLDWELL BANKER DISTINCTIVE PROPERTIES - New
$610,000Active1.66 Acres738 & 727 Falls View Drive, Twin Falls, ID 83301
MLS# 98980108Listed by: KELLER WILLIAMS SUN VALLEY SOUTHERN IDAHO - New
$335,000Active3 beds 2 baths2,240 sq. ft.216 Borah Ave W, Twin Falls, ID 83301
MLS# 98980096Listed by: KELLER WILLIAMS SUN VALLEY SOUTHERN IDAHO - New
$450,000Active4 beds 2 baths1,999 sq. ft.1078 Filer Ave. W., Twin Falls, ID 83301
MLS# 98979812Listed by: MAGIC VALLEY REALTY - New
$499,000Active4 beds 3 baths2,230 sq. ft.788 Pronghorn Dr, Twin Falls, ID 83301
MLS# 98980006Listed by: GEM STATE REALTY INC - New
$479,900Active5 beds 3 baths3,132 sq. ft.1532 11th Ave E, Twin Falls, ID 83301
MLS# 98979941Listed by: BERKSHIRE HATHAWAY HOMESERVICES IDAHO HOMES & PROPERTIES - New
$395,000Active4 beds 3 baths1,951 sq. ft.755 Gregory Way, Twin Falls, ID 83301
MLS# 98979884Listed by: SILVERCREEK REALTY GROUP
$369,123Pending3 beds 3 baths1,743 sq. ft.602 Upland Ave. #Lot 26, Block 4, Twin Falls, ID 83301
MLS# 98979857Listed by: NEW HOME STAR IDAHO- New
$307,990Active3 beds 3 baths1,268 sq. ft.511 Brads Place #Lot 21, Block 2, Twin Falls, ID 83301
MLS# 98979839Listed by: NEW HOME STAR IDAHO