3700 Woodland Lane, Downers Grove, IL 60515
Local realty services provided by:ERA Naper Realty
3700 Woodland Lane,Downers Grove, IL 60515
$1,250,000
- 3 Beds
- 2 Baths
- 2,035 sq. ft.
- Single family
- Active
Listed by: elizabeth moore
Office: united real estate - chicago
MLS#:12572475
Source:MLSNI
Price summary
- Price:$1,250,000
- Price per sq. ft.:$614.25
About this home
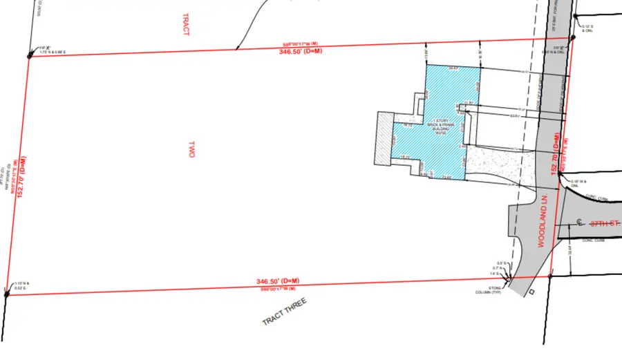
LAND in North Downers Grove - Own a piece of serenity. This property abuts LYMAN WOODS, 150 ACRES of oak woods and prairie. The existing property consists of: * 1 very livable 3 bed 2 bath brick ranch 2,035 sq ft + 1472 sq ft basement on city water and sewer * 152.7 ft x 346.5 ft. acreage can be subdivided * 6" municipal water line at Woodland Lane * Zoned R-4 Proposed development is based on conversations with York Township and DuPage County Zoning. The lot can accommodate a maximun of 4/5, R-4 parcels if the south 60 feet is set aside to extend 37th street as far as the east boundary for Lyman Woods. R-4 zoning in that area requires either 75 foot frontage or 10,000 sq ft lot. - Another option would be to create a flag lot which would only require a 20 foot access road like Woodland Lane, enabling 2 considerably larger homesites. Please see additional notes in property pictures.
Contact an agent
Home facts
- Year built:1952
- Listing ID #:12572475
- Added:9 day(s) ago
- Updated:March 19, 2026 at 11:28 AM
Rooms and interior
- Bedrooms:3
- Total bathrooms:2
- Full bathrooms:2
- Rooms Total:7
- Dining Description:Combined With Living Room
- Kitchen Description:Dishwasher, Microwave, Range, Refrigerator
- Basement:Yes
- Basement Description:Full, Unfinished
- Living area:2,035 sq. ft.
Heating and cooling
- Cooling:Central Air
- Heating:Forced Air, Natural Gas
- Central air:Yes
Structure and exterior
- Year built:1952
- Building area:2,035 sq. ft.
- Lot area:1.2 Acres
- Lot Features:Forest Preserve Adjacent, Natural Preserve Adjacent
- Architectural Style:Ranch
- Levels:1 Story
Schools
- High school:Downers Grove North High School
- Middle school:Herrick Middle School
- Elementary school:Highland Elementary School
Utilities
- Water:Lake Michigan
- Sewer:Public Sewer
Finances and disclosures
- Price:$1,250,000
- Price per sq. ft.:$614.25
- Tax amount:$11,773 (2024)
Features and amenities
- Laundry features:Dryer, Washer
Parking
- Total parking spaces:4
- Parking description:Asphalt, Attached Garage, Garage, Off Street
- Garage:Yes
- Garage spaces:2.5
New listings near 3700 Woodland Lane
- New
$1,360,960Active4 beds 4 baths3,145 sq. ft.160 39th Street, Downers Grove, IL 60515
MLS# 12595910Listed by: LITTLE REALTY
$1,403,810Pending4 beds 4 baths3,797 sq. ft.3853 Cumnor Road, Downers Grove, IL 60515
MLS# 12595826Listed by: LITTLE REALTY- Open Sat, 1 to 3pmNew
$379,000Active2 beds 1 baths1,176 sq. ft.4707 Fairview Avenue, Downers Grove, IL 60515
MLS# 12588967Listed by: CORE REALTY & INVESTMENTS INC. - New
$200,000Active2 beds 2 baths5400 Walnut Avenue #805, Downers Grove, IL 60515
MLS# 12595370Listed by: HOMESMART REALTY GROUP - New
$194,000Active2 beds 1 baths806 sq. ft.2419 Ogden Avenue #9, Downers Grove, IL 60515
MLS# 12576881Listed by: ANDERSEN REALTY GROUP
$1,374,930Pending4 beds 4 baths3,145 sq. ft.20 Pierce Drive, Downers Grove, IL 60515
MLS# 12594435Listed by: LITTLE REALTY
$1,361,930Pending4 beds 4 baths3,145 sq. ft.10 Pierce Drive, Downers Grove, IL 60515
MLS# 12594640Listed by: LITTLE REALTY- New
$309,900Active2 beds 2 baths1,200 sq. ft.7321 Baybury Road, Downers Grove, IL 60516
MLS# 12576399Listed by: REALTY EXECUTIVES AMBASSADOR - New
$1,373,490Active4 beds 3 baths3,797 sq. ft.3812 Williams Street, Downers Grove, IL 60515
MLS# 12593417Listed by: LITTLE REALTY - Open Sat, 12 to 2pmNew
$434,900Active3 beds 2 baths1,362 sq. ft.618 Crescent Drive, Downers Grove, IL 60516
MLS# 12587454Listed by: CHARLES RUTENBERG REALTY OF IL