302 16th Street, Mendota, IL 61342
Local realty services provided by:Results Realty ERA Powered
302 16th Street,Mendota, IL 61342
$650,000
- - Beds
- - Baths
- - sq. ft.
- Farm
- Active
Listed by: michelle falesch
Office: keller williams infinity
MLS#:12589118
Source:MLSNI
Price summary
- Price:$650,000
About this home
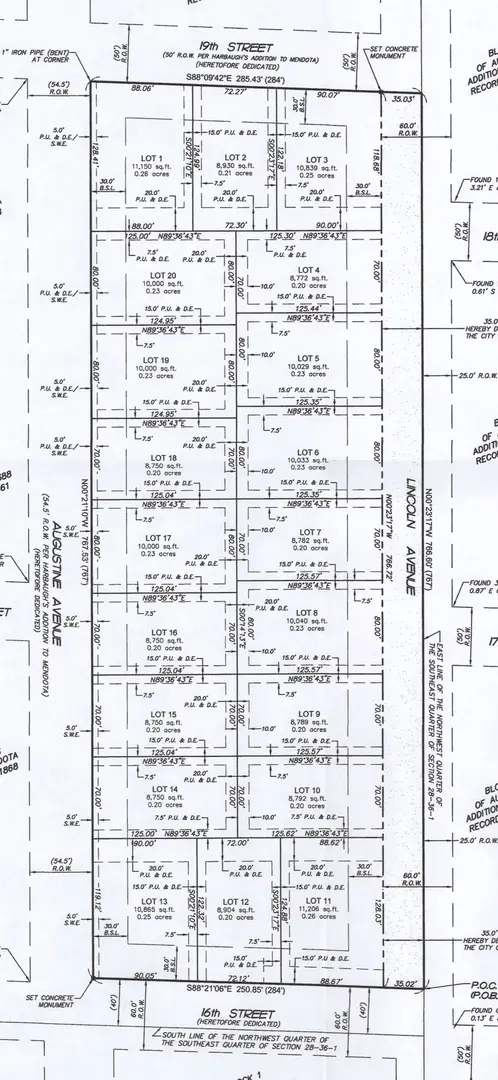
Rare opportunity for builders and developers to acquire 18 residential parcels in a thoughtfully planned neighborhood in Mendota, a growing community attracting buyers seeking affordability and small-town quality of life. The proposed layout includes a mix of generously sized homesites, with several oversized corner lots ideal for ranch-style homes and wider footprints, while interior parcels are well suited for traditional two-story residences. The plan emphasizes efficient land use, attractive streetscapes, and strong resale appeal while supporting a variety of housing styles that complement the character of the area. An additional advantage for builders: if basements are constructed, excavated soil can potentially be relocated to approximately 14 acres owned by the seller directly across the street, offering a convenient solution for site management. With continued community growth, supportive municipal leadership, and increasing demand from buyers relocating from higher-cost regions, this offering presents a compelling development opportunity in an underserved housing market....
Contact an agent
Home facts
- Listing ID #:12589118
- Updated:May 16, 2026 at 10:48 AM
Structure and exterior
- Lot area:4.6 Acres
Schools
- High school:Mendota Twp High School
- Middle school:Northbrook School
- Elementary school:Northbrook School
Finances and disclosures
- Price:$650,000
- Tax amount:$405 (2024)
New listings near 302 16th Street
- New
$129,900Active3 beds 1 baths1,266 sq. ft.1007 Michigan Avenue, Mendota, IL 61342
MLS# 12649365Listed by: EXP REALTY - New
$95,000Active1 beds 1 baths1,596 sq. ft.1209 6th Street, Mendota, IL 61342
MLS# 12541940Listed by: LANDMARK REALTY OF ILLINOIS LLC
$136,500Pending3 beds 1 baths910 sq. ft.111 6th Avenue, Mendota, IL 61342
MLS# 12643123Listed by: WOODHAVEN LAKES REALTY INC
$155,000Pending4 beds 2 baths1,254 sq. ft.101 7th Street, Mendota, IL 61342
MLS# 12634598Listed by: ERBES REALTY LLC
$325,000Active3 beds 3 baths1,932 sq. ft.4015 E 1st Road, Mendota, IL 61342
MLS# 12631185Listed by: COLDWELL BANKER TODAY'S
$299,900Pending3 beds 2 baths1,607 sq. ft.1711 Peri Drive, Mendota, IL 61342
MLS# 12629732Listed by: HOMESTEAD REALTY
$399,900Pending3 beds 3 baths1,792 sq. ft.4322 N Us Rt 34 Highway, Mendota, IL 61342
MLS# 12620425Listed by: HOMESTEAD REALTY
$159,500Pending3 beds 2 baths1,464 sq. ft.210 6th Street, Mendota, IL 61342
MLS# 12615625Listed by: COLDWELL BANKER REAL ESTATE GROUP
$349,900Active3 beds 2 baths1,609 sq. ft.1504 Meriden Street, Mendota, IL 61342
MLS# 12615548Listed by: COLDWELL BANKER TODAY'S
$230,000Active3 beds 3 baths2,008 sq. ft.804 5th Avenue, Mendota, IL 61342
MLS# 12612013Listed by: COLDWELL BANKER REAL ESTATE GROUP