0 Watterson Trail, Louisville, KY 40299
Local realty services provided by:Schuler Bauer Real Estate ERA Powered
0 Watterson Trail,Louisville, KY 40299
$150,000
- 2.93 Acres
- Lots / Land
- Active
Listed by: gant b hill
Office: gant hill & associates, llc.
MLS#:1704018
Source:KY_MSMLS
Price summary
- Price:$150,000
About this home
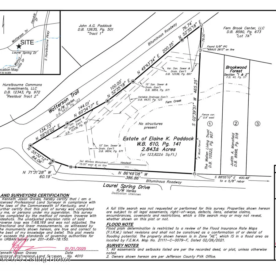
On the corner of Watterson Trail and Laurel Springs Drive Road lies a unique 2.843-acre wooded parcel boasting extensive frontage along both roads. This triangular lot features lush trees and a creek meandering through its center, albeit with water drainage easements and partial placement within a flood plain. Zoned R4, this property presents an opportunity for a low-density development, offering potential for several homesites. The area's established community, marked by evolving retail spaces, residential plots, and amenities, provides a promising backdrop for individuals with a keen eye for innovation and a desire for distinctiveness.
Contact an agent
Home facts
- Listing ID #:1704018
- Added:46 day(s) ago
- Updated:January 07, 2026 at 04:08 PM
Structure and exterior
- Lot area:2.93 Acres
Utilities
- Sewer:Public Sewer
Finances and disclosures
- Price:$150,000
New listings near 0 Watterson Trail
- New
$225,000Active2 beds 2 baths1,170 sq. ft.210 W Woodlawn Ave, Louisville, KY 40214
MLS# 1706387Listed by: KELLER WILLIAMS COLLECTIVE - New
$84,900Active2 beds 1 baths1,038 sq. ft.2703 Hale Ave, Louisville, KY 40211
MLS# 1706388Listed by: PROPERTY ADVANCEMENT REALTY - New
$399,900Active4 beds 3 baths2,654 sq. ft.8517 Quail Creek Ct, Louisville, KY 40229
MLS# 1706391Listed by: ELITE REALTORS - New
$575,000Active4 beds 3 baths2,635 sq. ft.1912 Bainbridge Row Dr, Louisville, KY 40207
MLS# 1706394Listed by: KENTUCKY SELECT PROPERTIES - New
$244,900Active2 beds 2 baths1,054 sq. ft.3019 Graystone Manor Pkwy, Louisville, KY 40241
MLS# 1706397Listed by: COLDWELL BANKER LARRY ROGERS - New
$499,000Active4 beds 3 baths2,674 sq. ft.118 Charmwood Ct, Louisville, KY 40245
MLS# 1706401Listed by: EXP REALTY LLC - New
$105,000Active1 beds 1 baths750 sq. ft.4026 Poplar Level Rd #Unit 1, Louisville, KY 40213
MLS# 1706377Listed by: UNITED REAL ESTATE LOUISVILLE - New
$265,000Active2 beds 2 baths1,250 sq. ft.3813 Greenhurst Dr, Louisville, KY 40299
MLS# 1706380Listed by: SEMONIN REALTORS - New
$265,000Active3 beds 1 baths925 sq. ft.163 Blossom Rd, Louisville, KY 40229
MLS# 1706382Listed by: EXIT REALTY CHOICE - New
$1,200,000Active5 beds 5 baths5,861 sq. ft.910 Rugby Pl, Louisville, KY 40222
MLS# 1706383Listed by: SEMONIN REALTORS