N 31 St Street, Covington, LA 70433
Local realty services provided by:ERA Sarver Real Estate
N 31 St Street,Covington, LA 70433
$109,000
- 0 Acres
- Lots / Land
- Active
Listed by: judy barrie
Office: judy russo barrie
MLS#:2530384
Source:LA_GSREIN
Price summary
- Price:$109,000
About this home
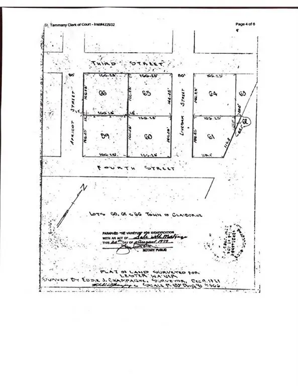
PROPERTY ZONED NEIGHBORHOOD COMMERCIAL. GREAT LOCATION DIRECTLY BEHIND ROUSE'S GROCERY. PURCHASER TO USE LEGAL DESCRIPTION ON OFFER. THE ADDRESS IS APPROXIMATED. PURCHASER TO GET LAND SURVEY TO PINPOINT LOCATION OF PROPERTY. SEE ATTACHED SURVEY. PLEASE CHECK WITH UTILITY COMPANIES AS TO AVAILABILITY
Contact an agent
Home facts
- Listing ID #:2530384
- Added:143 day(s) ago
- Updated:April 03, 2026 at 03:33 PM
Structure and exterior
- Lot Features:City Lot, Rectangular Lot
Utilities
- Water:Public
- Sewer:Public Sewer
Finances and disclosures
- Price:$109,000
New listings near N 31 St Street
- New
$159,000Active3 beds 2 baths1,120 sq. ft.72348 Nursery Street, Covington, LA 70435
MLS# 2546076Listed by: KELLER WILLIAMS REALTY SERVICES - New
$1,398,000Active4 beds 5 baths3,703 sq. ft.805 Chretien Point Avenue, Covington, LA 70433
MLS# 2548145Listed by: BERKSHIRE HATHAWAY HOMESERVICES PREFERRED, REALTOR - New
$699,000Active3 beds 3 baths2,104 sq. ft.508 Mount Hope Court, Covington, LA 70433
MLS# 2550250Listed by: BERKSHIRE HATHAWAY HOMESERVICES PREFERRED, REALTOR - New
$325,000Active4 beds 2 baths2,130 sq. ft.15576 Grassy Lane, Covington, LA 70435
MLS# 2550979Listed by: THE W GROUP REAL ESTATE LLC - New
$550,000Active4 beds 4 baths2,899 sq. ft.22399 Longleaf Drive, Covington, LA 70435
MLS# 2548861Listed by: 1% LISTS REALTY PROFESSIONALS - New
$299,000Active3 beds 2 baths1,743 sq. ft.215 Bamboo Drive, Covington, LA 70433
MLS# 2550612Listed by: LPT REALTY, LLC. - Open Wed, 12 to 2pmNew
$725,000Active6 beds 4 baths3,852 sq. ft.26 Sycamore Street, Covington, LA 70433
MLS# 2548313Listed by: UNITED REAL ESTATE PARTNERS - New
$225,000Active1 beds 1 baths1,700 sq. ft.75060 Highway 25, Covington, LA 70435
MLS# 2550859Listed by: KELLER WILLIAMS REALTY SERVICES - New
$499,000Active4 beds 3 baths3,200 sq. ft.76163 Louis Quave Road, Covington, LA 70435
MLS# 2550424Listed by: COMPASS COVINGTON (COMP27)
$274,505Pending3 beds 2 baths1,463 sq. ft.19669 Calden Court, Covington, LA 70433
MLS# NO2026005811Listed by: CICERO REALTY, LLC