2020-30 Farragut Street, New Orleans, LA 70114
Local realty services provided by:ERA Sarver Real Estate
2020-30 Farragut Street,New Orleans, LA 70114
$500,000
- 3 Beds
- 3 Baths
- 5,844 sq. ft.
- Single family
- Active
Listed by: christian galvin
Office: christian shane properties
MLS#:2536825
Source:LA_GSREIN
Price summary
- Price:$500,000
- Price per sq. ft.:$85.56
About this home
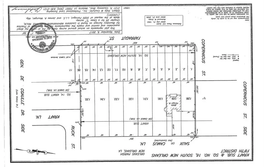
Large parcel plotted for sixteen 25 x 118 front lots on Farragut St. along with eight oversized 48 x 179.50 lots facing Saux Lane. Grand Mansion from 1934 prominently sits on two of the 48 x 179.5 lots boasting many historic attributes. Historic tax credit may be available for renovation or tear down to utilize the oversized parcel for a new development. The property contains a majestic Oak Alley along with grand Cypress trees while being a direct and quick access to the Crescent City Connection. The unpaved street Saux Lane’s application has been submitted and waiting for new applicant to finalize with the city. Agent/Owner.
Contact an agent
Home facts
- Year built:1936
- Listing ID #:2536825
- Added:84 day(s) ago
- Updated:March 31, 2026 at 03:01 PM
Rooms and interior
- Bedrooms:3
- Total bathrooms:3
- Full bathrooms:2
- Half bathrooms:1
- Rooms Total:6
- Living area:5,844 sq. ft.
Structure and exterior
- Roof:Shingle
- Year built:1936
- Building area:5,844 sq. ft.
- Lot area:2.8 Acres
- Lot Features:City Lot, Oversized Lot
- Construction Materials:Frame
- Foundation Description:Raised
- Levels:2 Story
Utilities
- Water:Public
- Sewer:Public Sewer
Finances and disclosures
- Price:$500,000
- Price per sq. ft.:$85.56
Parking
- Parking description:Off Street
New listings near 2020-30 Farragut Street
- New
$149,999Active2 beds 2 baths1,140 sq. ft.2300 Almonaster Avenue, New Orleans, LA 70117
MLS# 2550673Listed by: THE PELLERIN GROUP NOLA LLC - New
$680,000Active3 beds 4 baths3,402 sq. ft.5529 S Johnson Street, New Orleans, LA 70125
MLS# 2543502Listed by: REVE, REALTORS - New
$19,000Active0 Acres2013 N Miro Street, New Orleans, LA 70117
MLS# 2547611Listed by: COMPASS HISTORIC (LATT09) - New
$384,500Active3 beds 3 baths1,669 sq. ft.6624 Center Street, New Orleans, LA 70124
MLS# 2550641Listed by: KELLER WILLIAMS REALTY 455-0100 - New
$159,000Active1 beds 1 baths1,026 sq. ft.507 Fats Domino Avenue, New Orleans, LA 70117
MLS# 2550469Listed by: DANETTE O'NEAL REALTORS - New
$435,000Active8 beds 4 baths2,626 sq. ft.3016-3018 Spain Street, New Orleans, LA 70122
MLS# 2550625Listed by: LPT REALTY, LLC. - New
$380,000Active4 beds 3 baths2,258 sq. ft.1616 N Johnson Street, New Orleans, LA 70116
MLS# 2549412Listed by: EXP REALTY, LLC - New
$315,000Active2 beds 2 baths1,260 sq. ft.2025-27 Harmony Street, New Orleans, LA 70115
MLS# 2549778Listed by: COMPASS UPTOWN-MAPLE ST (LATT28) - New
$325,000Active3 beds 2 baths1,404 sq. ft.1431 Clouet Street, New Orleans, LA 70117
MLS# 2550255Listed by: MCENERY RESIDENTIAL, LLC - New
$175,000Active1 beds 1 baths565 sq. ft.1205 St Charles Avenue #1213, New Orleans, LA 70130
MLS# 2550332Listed by: REVE, REALTORS