385 Le Belle Maison Drive, Raceland, LA 70394
Local realty services provided by:ERA TOP AGENT REALTY
385 Le Belle Maison Drive,Raceland, LA 70394
$59,000
- 0.33 Acres
- Lots / Land
- Active
Listed by: brandy nichols
Office: brandy nichols realty
MLS#:2524580
Source:LA_GSREIN
Price summary
- Price:$59,000
About this home
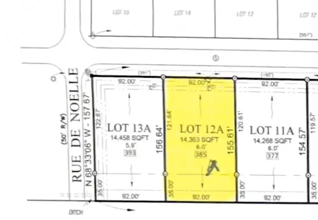
385 Le Belle Maison Dr, Lot 12A - Le Belle Maison is a quiet and welcoming neighborhood that combines small town charm with modern convenience. Lot 12A measures approximately 92 feet wide by 155.61 feet deep with a 6 foot elevation, giving you plenty of space to design and build your dream home. There is also a parcel directly behind the lot measuring about 92 x 100 ft that can be purchased separately if additional land is desired. Residents enjoy peaceful surroundings with convenient access to Houma and the interstate. Flood Zone B!
Contact an agent
Home facts
- Listing ID #:2524580
- Added:183 day(s) ago
- Updated:April 05, 2026 at 02:58 PM
Rooms and interior
- Living area:14,363 sq. ft.
Structure and exterior
- Building area:14,363 sq. ft.
- Lot area:0.33 Acres
- Lot Features:City Lot, Rectangular Lot
Schools
- High school:LPPS
- Middle school:LPPS
- Elementary school:LPPS
Utilities
- Water:Public
Finances and disclosures
- Price:$59,000
New listings near 385 Le Belle Maison Drive
- New
$99,500Active3 beds 1 baths1,009 sq. ft.204 Sako Drive, Raceland, LA 70394
MLS# 2549450Listed by: CONGRESS REALTY, INC.
$165,000Active2 beds 2 baths1,006 sq. ft.206 Danos Street, Raceland, LA 70394
MLS# 2549216Listed by: KELLER WILLIAMS REALTY NEW ORLEANS
$17,000Active0.35 AcresTwin Oaks Dr Lot 2 Drive, Raceland, LA 70394
MLS# 2547109Listed by: BEST RATE REALTY, LLC
$17,000Active0.35 AcresTwin Oaks Dr Lot 1 Drive, Raceland, LA 70394
MLS# 2547112Listed by: BEST RATE REALTY, LLC
$110,000Active3 beds 2 baths1,546 sq. ft.756 St Philip Street, Raceland, LA 70394
MLS# 2546765Listed by: TJONES & CO, LLC
$115,000Active2 beds 2 baths896 sq. ft.102 Gibson Street, Raceland, LA 70394
MLS# 2543919Listed by: THE SAGE FIRM
$69,900Active3 beds 2 baths1,240 sq. ft.4021 Highway 1, Raceland, LA 70394
MLS# 2534041Listed by: CENTURY 21 ACTION REALTY, INC.
$110,000Active3 beds 2 baths1,444 sq. ft.245 Milli Street, Raceland, LA 70394
MLS# 2532774Listed by: UPMARKET REALTY L.L.C.
$115,000Active5 beds 2 baths2,023 sq. ft.326 Country Village Drive, Raceland, LA 70394
MLS# 2530175Listed by: CLEAR TO CLOSE REALTY