Hardin Road, Slidell, LA 70461
Local realty services provided by:ERA TOP AGENT REALTY
Hardin Road,Slidell, LA 70461
$60,000
- 3.98 Acres
- Lots / Land
- Active
Listed by: deana bradley
Office: atlas real estate company, llc.
MLS#:2551252
Source:LA_GSREIN
Price summary
- Price:$60,000
About this home
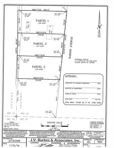
Located off Fremaux Avenue, this remarkable 3.985-acre homesite offers the perfect blend of privacy and convenience. Situated on a quiet dead-end street, the property provides a peaceful, country-like setting while remaining just minutes from shopping, dining, and everyday essentials at Fremaux Center, with easy access to I-10. Located in a highly desirable school district, this expansive tract is ideal for building your custom dream home. Property is being sold as one contiguous 3.985-acre parcel. The survey available is illustrating three (3) potential lots for future subdivision; however, subdivision is not currently in place and would be subject to parish approval after closing. A Bond for Deed option will be considered.
Contact an agent
Home facts
- Listing ID #:2551252
- Added:1 day(s) ago
- Updated:April 04, 2026 at 02:50 AM
Structure and exterior
- Lot area:3.98 Acres
- Lot Features:Outside City Limits
Finances and disclosures
- Price:$60,000
New listings near Hardin Road
- New
$425,000Active5 beds 3 baths2,634 sq. ft.273 Cypress Lakes Drive, Slidell, LA 70458
MLS# 2545056Listed by: COMPASS SLIDELL (LATT14) - New
$200,000Active3 beds 2 baths1,600 sq. ft.36504 Eric Street, Slidell, LA 70460
MLS# 2550895Listed by: FRERET REALTY - New
$235,000Active3 beds 2 baths1,503 sq. ft.651 Dale Drive, Slidell, LA 70458
MLS# 2551121Listed by: COMPASS KENNER (LATT30) - New
$299,500Active4 beds 3 baths2,350 sq. ft.1104 Charlie Drive, Slidell, LA 70461
MLS# 2550671Listed by: ENGEL & VOLKERS SLIDELL - MANDEVILLE - New
$129,900Active3 beds 2 baths1,335 sq. ft.1160 Rosemeadow Loop, Slidell, LA 70460
MLS# 2550778Listed by: COLDWELL BANKER TEC - Open Sat, 9 to 11:30amNew
$329,900Active4 beds 2 baths2,200 sq. ft.202 Goldenwood Drive, Slidell, LA 70461
MLS# 2551115Listed by: LEILA PEREZ REALTY - New
$407,900Active4 beds 3 baths2,656 sq. ft.6752 Delta Ridge Avenue, Slidell, LA 70461
MLS# 2551122Listed by: D.R.HORTON REALTY OF LOUISIANA - New
$402,900Active4 beds 3 baths2,656 sq. ft.6744 Delta Ridge Avenue, Slidell, LA 70461
MLS# 2551123Listed by: D.R.HORTON REALTY OF LOUISIANA - New
$374,900Active4 beds 3 baths2,400 sq. ft.6740 Delta Ridge Avenue, Slidell, LA 70461
MLS# 2551124Listed by: D.R.HORTON REALTY OF LOUISIANA