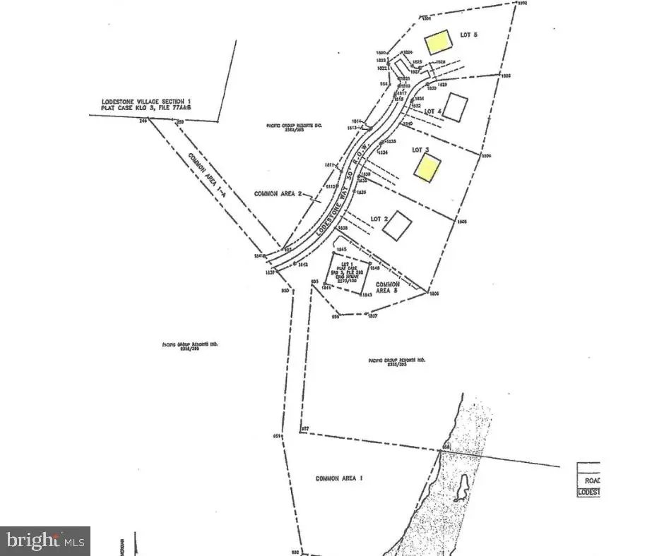
Lot 5 Lodestone Way, 6 Sang Run, MD 21541
Local realty services provided by:Mountain Realty ERA Powered
Lot 5 Lodestone Way,Mc Henry, MD 21541
$165,000
- 0.42 Acres
- Lots / Land
- Active
Listed by: charlotte savoy
Office: the kw collective
MLS#:MDGA2011440
Source:BRIGHTMLS
Price summary
- Price:$165,000
- Monthly HOA dues:$91.67
About this home
Premium lot on the Lodestone Golf Course tucked away in a private nook with just a handful of homes, just minutes from everything there is to love at Deep Creek Lake, sitting on a cul-de-sac! Bring your own builder and floorplan, or use ours!
This lot has public water and sewer hookups! High-speed cable/internet! Propane is available for cooking or heat if you'd like! This lot is adjacent to the award-winning championship Lodestone Golf Course, too!
Whether you are building a second home for your family or an income-producing investment property, this location at the lake is highly sought after! The lake offers year-round activities, including day and night skiing at Wisp, ice skating, ice fishing, snowmobiling, horse and sleigh rides, boating, water skiing, kayaking, swimming, fishing, two championship golf courses, whitewater rafting at the ASCI park and the Youghiogheny River, zip line adventures, mountain bike trails and courses, ATV rentals, scenic chairlift rides, miles of hiking trailing, Swallow Falls, shopping, dining and more!
This property includes membership to The Wisp Resort Master Association - Lakeside Park which offers access to community members of a 1.94 acre parcel of waterfront land with 170 feet of frontage on Deep Creek Lake where fishing is permitted and offers a pavilion, lake view seating platform, restrooms, walking trails, and parking!
Ready to build now! Call today for details!...
Contact an agent
Home facts
- Listing ID #:MDGA2011440
- Added:48 day(s) ago
- Updated:May 16, 2026 at 01:36 PM
Structure and exterior
- Lot area:0.42 Acres
Utilities
- Water:Public
- Sewer:Public Sewer
Finances and disclosures
- Price:$165,000
- Tax amount:$1 (2025)
New listings near Lot 5 Lodestone Way
- Coming Soon
$1,149,000Coming Soon6 beds 7 baths220 Biltmore Vw, MC HENRY, MD 21541
MLS# MDGA2011848Listed by: RAILEY REALTY, INC. - New
$1,299,900Active5 beds 6 baths3,179 sq. ft.985 N Camp Rd, MC HENRY, MD 21541
MLS# MDGA2011864Listed by: RAILEY REALTY, INC. - New
$910,000Active5 beds 5 baths3,472 sq. ft.879 Fork Run Trl, MC HENRY, MD 21541
MLS# MDGA2011866Listed by: RAILEY REALTY, INC. - Coming Soon
$2,850,000Coming Soon3 beds 4 baths755 Rock Lodge Rd, MC HENRY, MD 21541
MLS# MDGA2011832Listed by: RAILEY REALTY, INC. - Coming Soon
$519,900Coming Soon3 beds 2 baths1142 Limpopo Ln, MC HENRY, MD 21541
MLS# MDGA2011828Listed by: RAILEY REALTY, INC. - New
$424,900Active3 beds 2 baths1,464 sq. ft.486 Marsh Hill Rd, MC HENRY, MD 21541
MLS# MDGA2011822Listed by: TAYLOR-MADE DEEP CREEK SALES - New
$579,000Active4 beds 3 baths3,330 sq. ft.60 Barbara's Way, MC HENRY, MD 21541
MLS# MDGA2011850Listed by: TAYLOR-MADE DEEP CREEK SALES - New
$98,800Active0.43 AcresLot 42 Biltmore Ridge Trl, MC HENRY, MD 21541
MLS# MDGA2011794Listed by: THE KW COLLECTIVE - New
$98,800Active0.53 AcresLot 43 Biltmore Ridge Trl, MC HENRY, MD 21541
MLS# MDGA2011796Listed by: THE KW COLLECTIVE - New
$119,000Active0.64 AcresLot 34 Blue Mountain Vw, MC HENRY, MD 21541
MLS# MDGA2011786Listed by: TAYLOR-MADE DEEP CREEK SALES