Brick Kiln 9.5 Ac Heavy Industrial Land For Lease, Salisbury, MD 21801
Local realty services provided by:ERA OakCrest Realty, Inc.
Brick Kiln 9.5 Ac Heavy Industrial Land For Lease,Salisbury, MD 21801
$39,000
- 9.51 Acres
- Lots / Land
- Active
Listed by: chris peek
Office: svn/miller commercial real estate
MLS#:MDWC2021158
Source:BRIGHTMLS
Price summary
- Price:$39,000
About this home
Heavy Industrial Land For Lease - $ 39,000 annually
9.51 Acre Parcel off American Legion Road in Salisbury, MD
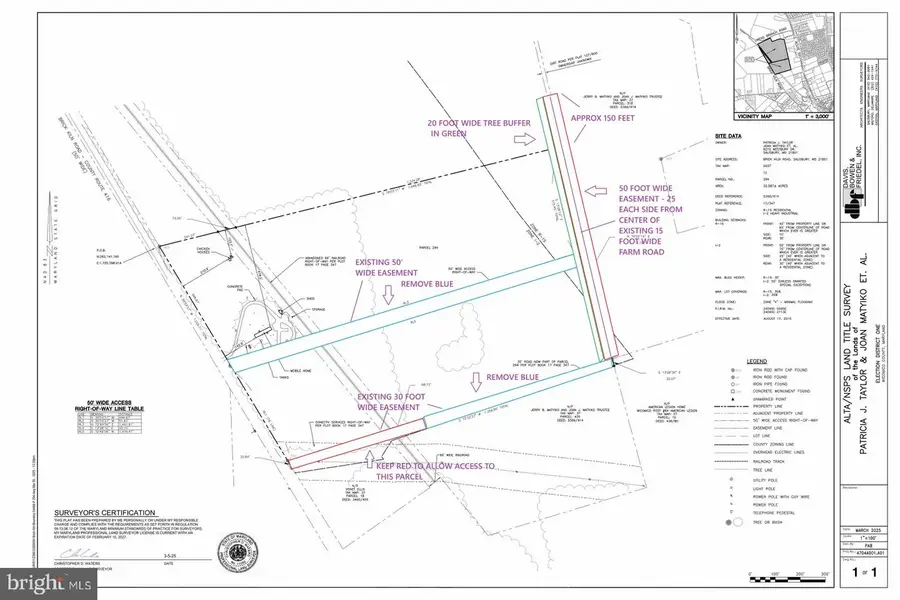
Access to the property is via a 50-foot-wide easement off of American Legion Road at the eastern border of the property. This 50-foot-wide easement is being established within the borders of the 9.51-acre section and will take up approximately 25,200 sq ft (50 x 504 ) of the parcel area. There is also a 30-foot-wide easement off of Brick Kiln Road, but this may be difficult to develop as it crosses a drainage culvert fronting on Brick Kiln. See the site map for reference. The property has access right-of-way lanes on all sides of the property. See annotated survey diagram.
There is a 150-foot-wide Conectiv easement for the power lines crossing the property that utilizes approximately 3 acres of the 9.51 total acreage. No structures other than roads can be built within this easement area under the power lines.
Zoning: The property is zoned Wicomico County R-15. Use to date has been as leased farmland. An application for a change of zoning may be possible, but please note, this property is not being sold contingent on it being re-zoned.
Well and Septic: There is currently no well and septic system serving the property. The soil is well drained and getting a perk should be very possible, but please note, this property is not being sold contingent on its perking.
Contact an agent
Home facts
- Listing ID #:MDWC2021158
- Added:1 day(s) ago
- Updated:January 08, 2026 at 02:50 PM
Structure and exterior
- Lot area:9.51 Acres
Utilities
- Sewer:No Septic System
Finances and disclosures
- Price:$39,000
- Tax amount:$520 (2024)
New listings near Brick Kiln 9.5 Ac Heavy Industrial Land For Lease
- New
$280,000Active3 beds 3 baths1,420 sq. ft.1408 Sugarplum Ln, SALISBURY, MD 21801
MLS# MDWC2021082Listed by: CUMMINGS & CO. REALTORS - Coming Soon
$499,900Coming Soon4 beds 3 baths6023 Tarry Town Rd, SALISBURY, MD 21801
MLS# MDWC2021152Listed by: SHEPPARD REALTY INC - Open Sun, 11am to 1pmNew
Listed by ERA$430,000Active3 beds 3 baths2,859 sq. ft.912 Turnstone Cir, SALISBURY, MD 21804
MLS# MDWC2020952Listed by: ERA MARTIN ASSOCIATES - Coming Soon
$540,000Coming Soon4 beds 3 baths1622 Crawford Dr, SALISBURY, MD 21804
MLS# MDWC2021014Listed by: COLDWELL BANKER REALTY - New
$268,900Active3 beds 3 baths1,804 sq. ft.920 W Schumaker Manor Dr, SALISBURY, MD 21804
MLS# MDWC2021114Listed by: EXP REALTY, LLC - New
Listed by ERA$65,000Active3 beds 2 baths1,200 sq. ft.221 Wall Street, SALISBURY, MD 21801
MLS# MDWC2021110Listed by: ERA MARTIN ASSOCIATES - Coming Soon
$290,000Coming Soon3 beds 1 baths412 Somerset Ave, SALISBURY, MD 21801
MLS# MDWC2021090Listed by: COLDWELL BANKER REALTY - Open Sat, 2 to 3:30pmNew
Listed by ERA$249,900Active3 beds 2 baths1,498 sq. ft.917 James Ct, SALISBURY, MD 21804
MLS# MDWC2021096Listed by: ERA MARTIN ASSOCIATES - New
$54,900Active2 beds 2 baths742 sq. ft.228 Silver St, SALISBURY, MD 21804
MLS# MDWC2021070Listed by: COLDWELL BANKER REALTY