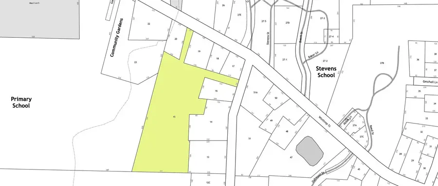
0 Winthrop Street Map 6, Lot 15, Hallowell, ME 04347
Local realty services provided by:ERA Dawson-Bradford Co., REALTORS
0 Winthrop Street Map 6, Lot 15,Hallowell, ME 04347
$199,000
- 4.8 Acres
- Lots / Land
- Pending
Listed by: max ross207-248-6044
Office: pouliot real estate
MLS#:1639163
Source:ME_MREIS
Price summary
- Price:$199,000
About this home
Welcome to an excellent opportunity in historic Hallowell! This 4.8-acre parcel offers a prime location with public water and sewer already available on site. Situated just minutes from downtown Hallowell's shops, restaurants, and riverfront, this property combines convenience with space and privacy.
With ample acreage, this parcel provides multiple possibilities: build your dream home surrounded by nature, create a small homestead, or explore potential development options. Road frontage ensures easy access, and the presence of town utilities makes future construction straightforward and cost-effective.
Whether you're seeking a private retreat or an investment opportunity, this land is ready to meet your vision.
Contact an agent
Home facts
- Listing ID #:1639163
- Updated:April 03, 2026 at 07:55 AM
Structure and exterior
- Lot area:4.8 Acres
- Lot Features:Near Town, Neighborhood, Open, Pasture/Field, Rolling/Sloping, Wooded
Utilities
- Water:Public
- Sewer:Public Sewer
Finances and disclosures
- Price:$199,000
- Tax amount:$916 (2026)
Parking
- Parking description:No Driveway
New listings near 0 Winthrop Street Map 6, Lot 15
$475,000Active3 beds 2 baths1,650 sq. ft.7 Spring Street, Hallowell, ME 04347
MLS# 1654450Listed by: YOUR HOME SOLD GUARANTEED REALTY
$450,000Active2 beds 3 baths2,448 sq. ft.74 Second Street #A, Hallowell, ME 04347
MLS# 1654359Listed by: LAER
$185,000Active2 beds 1 baths761 sq. ft.85 Middle Street #10, Hallowell, ME 04347
MLS# 1654054Listed by: SPRAGUE & CURTIS REAL ESTATE
$645,687Pending4 beds 3 baths3,529 sq. ft.14 Middle Street, Hallowell, ME 04347
MLS# 1653542Listed by: YOUR HOME SOLD GUARANTEED REALTY
$795,000Pending-- beds 4 baths3,600 sq. ft.9-11 Summer Street, Hallowell, ME 04347
MLS# 1652233Listed by: MCALLISTER REAL ESTATE
$1,175,000Active-- beds 2 baths7,380 sq. ft.192 Water Street, Hallowell, ME 04347
MLS# 1650849Listed by: RE/MAX RIVERSIDE
$299,000Pending66.5 AcresTBD Litchfield Road, Hallowell, ME 04347
MLS# 1646128Listed by: SPRAGUE & CURTIS REAL ESTATE
$62,000Active1.02 Acres11 Overlook Drive #11, Hallowell, ME 04347
MLS# 1645869Listed by: HARCOURTS WATERFRONT & FINE PROPERTIES
$675,000Active3 beds 2 baths2,269 sq. ft.1 Overlook Drive, Hallowell, ME 04347
MLS# 1644561Listed by: SPRAGUE & CURTIS REAL ESTATE
$685,000Active3 beds 3 baths1,500 sq. ft.Lot 23 Acorn Lane #23, Hallowell, ME 04347
MLS# 1643983Listed by: SPRAGUE & CURTIS REAL ESTATE