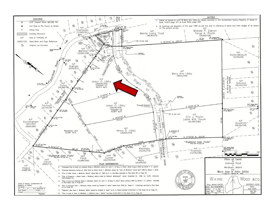
0 Lot #2, Candlewyck Road, Windham, ME 04062
Local realty services provided by:ERA Dawson-Bradford Co., REALTORS
0 Lot #2, Candlewyck Road,Windham, ME 04062
$115,000
- 1.26 Acres
- Lots / Land
- Active
Listed by: deborah meek207-553-2662
Office: keller williams realty
MLS#:1642847
Source:ME_MREIS
Price summary
- Price:$115,000
- Monthly HOA dues:$29.17
About this home
Beautiful land in the same family for multiple generations! A genuine slice of pure Maine to build your dreams upon, yet only 25 minutes to Portland. Ideal location to lakes, mountains, bars and eateries and entertainment! If you've been having a challenge finding a genuine buildable lot - without wetland or complications - then look no further. Located in a popular neighborhood. Gentle treed sloping lot providing natural privacy and possibly a walk-out basement - quiet and picturesque, ideal for nature lovers and dog lovers. Hikers' paradise and enjoy the scenic beauty as it unfolds every season. This lot is 1.26 acres, surveyed and soils tested with HHE-200 Septic Design, with the town's OK - meeting dimensional standards for a building lot. Small annual fee to Overlook Road Association once property developed. Bring your builder or your plans and explore this rare offering. This parcel will need the buyer to build out the right-of-way for access with hammerhead. See survey. Buyers to verify with town of Windham - private way minor road spec - does not require black top. Don't miss. It's surveyed and pinned!
Contact an agent
Home facts
- Listing ID #:1642847
- Updated:February 10, 2026 at 04:34 PM
Structure and exterior
- Lot area:1.26 Acres
Utilities
- Water:Well Needed on Site
- Sewer:Perc Test On File, Private Sewer, Septic Design Available, Septic Needed
Finances and disclosures
- Price:$115,000
- Tax amount:$1,705 (25)
New listings near 0 Lot #2, Candlewyck Road
$599,000Active2 beds 2 baths1,284 sq. ft.25 Driftwood Lane #20, Windham, ME 04062
MLS# 1586496Listed by: BERKSHIRE HATHAWAY HOMESERVICES VERANI REALTY- Open Sat, 1 to 3pmNew
$549,900Active2 beds 3 baths1,512 sq. ft.1112 Roosevelt Trail #8, Windham, ME 04062
MLS# 1651417Listed by: KELLER WILLIAMS REALTY - Coming SoonOpen Sat, 1 to 3pm
$600,000Coming Soon3 beds 3 baths4 Patriot Drive, Windham, ME 04062
MLS# 1651357Listed by: KELLER WILLIAMS REALTY - Open Sun, 12 to 2pmNew
$679,000Active4 beds 2 baths2,218 sq. ft.Lot 2 Aerie Drive, Gray, ME 04039
MLS# 1651236Listed by: TOWN & SHORE REAL ESTATE
$749,900Pending4 beds 3 baths2,422 sq. ft.4 Hayfield Lane, Windham, ME 04062
MLS# 1651224Listed by: AMERICAN REAL ESTATE- New
$449,999Active3 beds 2 baths1,630 sq. ft.5 Cardinal Lane, Windham, ME 04062
MLS# 1651218Listed by: COLDWELL BANKER REALTY - New
$1,200,000Active2 beds 1 baths1,158 sq. ft.34 Many Oaks Lane, Windham, ME 04062
MLS# 1651109Listed by: LEGACY PROPERTIES SOTHEBY'S INTERNATIONAL REALTY
$620,000Active3 beds 3 baths1,582 sq. ft.30 Motorcycle Drive, Windham, ME 04062
MLS# 1650750Listed by: KELLER WILLIAMS REALTY
$469,000Active3 beds 3 baths1,550 sq. ft.6 Dolley Farm Road #6, Windham, ME 04062
MLS# 1650502Listed by: THE FLAHERTY GROUP
$180,000Active2 Acres000 Falmouth Road, Windham, ME 04062
MLS# 1650212Listed by: KELLER WILLIAMS REALTY