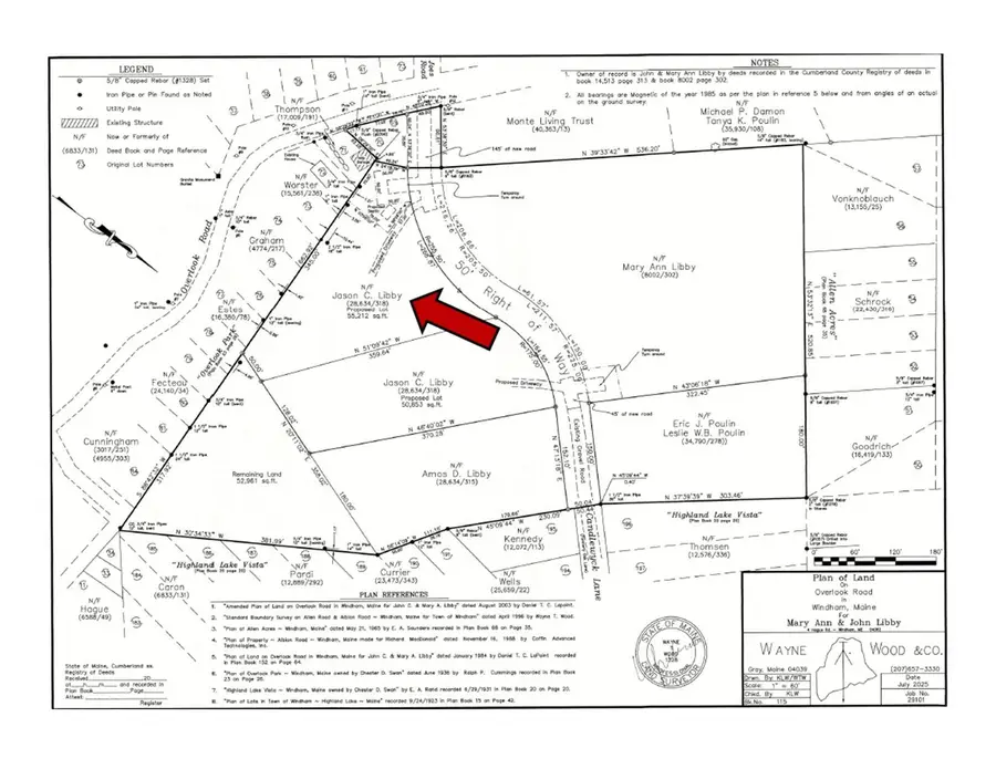
0 Lot #2 Candlewyck Road, Windham, ME 04062
Local realty services provided by:ERA Dawson-Bradford Co., REALTORS
0 Lot #2 Candlewyck Road,Windham, ME 04062
$99,000
- 1.26 Acres
- Lots / Land
- Pending
Listed by: deborah meek207-553-2662
Office: keller williams realty
MLS#:1653381
Source:ME_MREIS
Price summary
- Price:$99,000
- Monthly HOA dues:$29.17
About this home
Beautiful land in the same family for multiple generations! A genuine slice of pure Maine to build your dreams upon, yet only 25 minutes to Portland. Ideal location to lakes, mountains, bars and eateries and entertainment! If you've been having a challenge finding a genuine buildable lot - without wetland or complications - then look no further. Located in a popular neighborhood. Gentle treed sloping lot providing natural privacy and possibly a walk-out basement - quiet and picturesque, ideal for nature lovers and dog lovers. Hikers' paradise and enjoy the scenic beauty as it unfolds every season. This lot is 1.26 acres, surveyed and soils tested with HHE-200 Septic Design, with the town's OK - meeting dimensional standards for a building lot. Small annual fee to Overlook Road Association once property developed. Bring your builder or your plans and explore this rare offering. This parcel will need the buyer to build out the right-of-way for access with hammerhead. See survey. Buyers to verify with town of Windham - private way minor road spec - does not require black top. Don't miss. It's surveyed and pinned!...
Contact an agent
Home facts
- Listing ID #:1653381
- Updated:May 14, 2026 at 07:41 AM
Structure and exterior
- Lot area:1.26 Acres
- Lot Features:Cul-De-Sac, Neighborhood, Rolling/Sloping, Subdivided, Wooded
Utilities
- Water:Private, Well Needed on Site
- Sewer:Private Sewer, Septic Design Available, Septic Needed, Soil Test Available
Finances and disclosures
- Price:$99,000
- Tax amount:$1,705 (25)
Parking
- Parking description:No Driveway, On Site
New listings near 0 Lot #2 Candlewyck Road
- Open Sat, 11am to 1pmNew
$459,000Active3 beds 2 baths1,456 sq. ft.91 Vista Drive, Windham, ME 04062
MLS# 1662069Listed by: KELLER WILLIAMS REALTY - New
$399,900Active2 beds 2 baths1,312 sq. ft.68 Provost Drive #13, Windham, ME 04062
MLS# 1661916Listed by: THE COLLECTIVE REAL ESTATE CO - New
$599,000Active3 beds 2 baths1,717 sq. ft.18 Haven Road, Windham, ME 04062
MLS# 1661798Listed by: MAINE REAL ESTATE EXPERTS - Coming SoonOpen Sat, 11am to 1pm
$460,000Coming Soon3 beds 1 baths265 Windham Center Road, Windham, ME 04062
MLS# 1661770Listed by: COLDWELL BANKER REALTY - New
$479,000Active3 beds 3 baths1,540 sq. ft.26 Dolley Farm Road #12, Windham, ME 04062
MLS# 1661344Listed by: THE FLAHERTY GROUP - Coming SoonOpen Sat, 11am to 1pm
$365,000Coming Soon2 beds 1 baths402 Roosevelt Trail, Windham, ME 04062
MLS# 1661237Listed by: BENCHMARK REAL ESTATE - New
$619,000Active5 beds 2 baths2,416 sq. ft.64 Pope Road, Windham, ME 04062
MLS# 1661213Listed by: THE REAL ESTATE STORE - New
$474,000Active3 beds 3 baths1,550 sq. ft.6 Dolley Farm Road #3, Windham, ME 04062
MLS# 1661164Listed by: THE FLAHERTY GROUP
$525,000Pending2 beds 1 baths1,275 sq. ft.42 Emerson Drive, Windham, ME 04062
MLS# 1661033Listed by: THE MAINE REAL ESTATE GROUP- Open Sat, 11am to 1pmNew
$575,000Active3 beds 2 baths1,784 sq. ft.42 Forest Avenue, Windham, ME 04062
MLS# 1660996Listed by: PORTSIDE REAL ESTATE GROUP