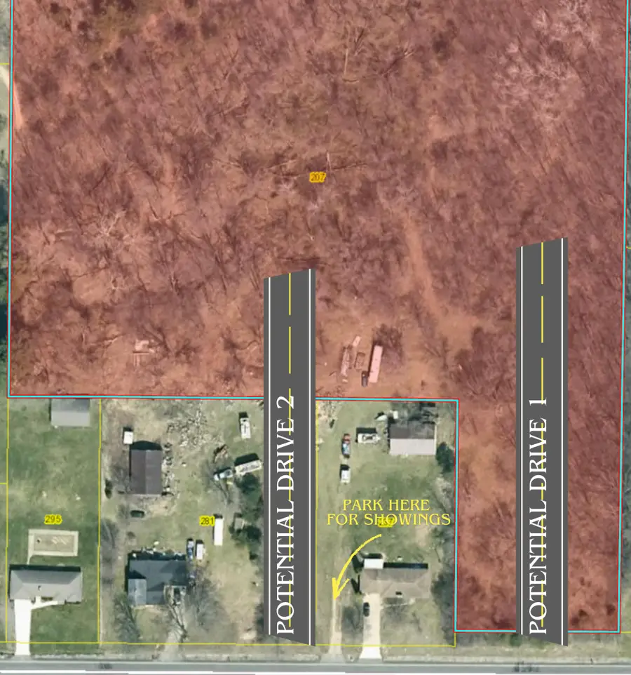
207 7 Mile Nw, Comstock Park, MI 49321
Local realty services provided by:ERA Reardon Realty
207 7 Mile Nw,Comstock Park, MI 49321
$325,000
- - Acres
- Lots / Land
- Sold
Listed by: ashley bodell
Office: bellabay realty (north)
MLS#:26001869
Source:MI_MICHRIC
Sorry, we are unable to map this address
Price summary
- Price:$325,000
About this home
Rare opportunity to own 17.08 acres in Alpine Township on 7 Mile Rd NW within the Kenowa Hills School District, conveniently located near Comstock Park and Sparta. This private, versatile parcel offers multiple building and development options. Approved access options include a driveway from the property frontage or a negotiable access point from 281 7 Mile Rd, both reviewed by Alpine Township and the Kent County Road Commission (see attached). R-1 zoning allows the parcel to remain intact or be split into up to 3 residential lots with a shared gravel road and emergency vehicle turnaround. Public water available at the road. City sewer approx. 1,500 feet away (not scheduled for extension through 2029). Seller willing to pursue 2-3 splits for qualified buyers.
Contact an agent
Home facts
- Listing ID #:26001869
- Added:75 day(s) ago
- Updated:April 01, 2026 at 06:32 AM
Structure and exterior
- Lot Features:Buildable, Building, Site Condo, Wooded
Utilities
- Water:Public
Finances and disclosures
- Price:$325,000
- Tax amount:$794 (2025)
New listings near 207 7 Mile Nw
$269,900Pending4 beds 2 baths1,920 sq. ft.4579 Bekinshire Drive Nw, Comstock Park, MI 49321
MLS# 26011160Listed by: RE/MAX OF GRAND RAPIDS (FH)
$249,900Pending2 beds 1 baths750 sq. ft.4034 Childs Avenue Nw, Comstock Park, MI 49321
MLS# 26010908Listed by: BELLABAY REALTY LLC
Listed by ERA$479,000Active5 beds 4 baths2,764 sq. ft.176 4 Mile Road Nw, Comstock Park, MI 49321
MLS# 26010493Listed by: ERA REARDON REALTY GREAT LAKES
$329,900Active4 beds 3 baths1,794 sq. ft.4665 Westshire Drive Nw, Comstock Park, MI 49321
MLS# 26009735Listed by: FELDE REALTY
$349,900Pending3 beds 3 baths2,264 sq. ft.427 Lamoreaux Drive Nw, Comstock Park, MI 49321
MLS# 26009303Listed by: THE LOCAL ELEMENT
$239,900Pending2 beds 2 baths1,104 sq. ft.408 Brady Street Nw, Comstock Park, MI 49321
MLS# 26009281Listed by: FIVE STAR REAL ESTATE (COURTLAND)
$324,900Pending3 beds 1 baths1,120 sq. ft.4901 Pinedell Avenue Ne, Comstock Park, MI 49321
MLS# 26007901Listed by: BELLABAY REALTY (NORTH)
$180,000Pending2 beds 1 baths1,077 sq. ft.335 Dana Street Nw, Comstock Park, MI 49321
MLS# 26007626Listed by: KELLER WILLIAMS GR EAST
$509,900Active4 beds 3 baths2,466 sq. ft.4885 Bethpage Drive Nw, Comstock Park, MI 49321
MLS# 26007542Listed by: KENSINGTON REALTY GROUP INC.
$459,900Active2 beds 2 baths1,849 sq. ft.4904 Bethpage Drive Nw, Comstock Park, MI 49321
MLS# 26007543Listed by: KENSINGTON REALTY GROUP INC.