N/A N/a, Fleming, MN 55760
Local realty services provided by:ERA Viking Realty
N/A N/a,Fleming Twp, MN 55760
$77,700
- 40 Acres
- Lots / Land
- Active
Listed by: lorraine buss
Office: excelsior realty
MLS#:6806223
Source:NSMLS
Price summary
- Price:$77,700
About this home
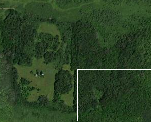
Beautiful heavily wooded 40 acres of raw land for recreation, hunting, or potential development! Gently rolling with 21 acres high wooded (non-wetland) and 19 acres low wooded (containing some wetland).
Originally part of a farm, this parcel has recently been used for hunting and includes deer stands. County zoning allows for subdivision into minimum 2.5 acre parcels with appropriate setbacks for well(s) and septic(s). Underground electricity available on 430th Lane per MLEC.
Envision hunting grounds or a private wilderness retreat -- get away from it all! Or perhaps a woodsy resort? Imagine the possibilities!
Contact an agent
Home facts
- Listing ID #:6806223
- Added:1 day(s) ago
- Updated:November 15, 2025 at 01:43 PM
Structure and exterior
- Lot area:40 Acres
Finances and disclosures
- Price:$77,700
- Tax amount:$368 (2025)

