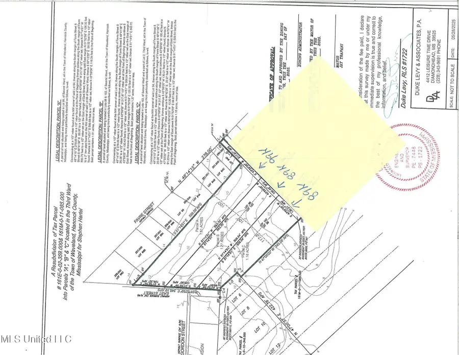
East Street, Waveland, MS 39576
Local realty services provided by:ERA TOP AGENT REALTY
Listed by:sue s ashman
Office:ashman-mollere realty, inc.
MLS#:4129922
Source:MS_UNITED
Price summary
- Price:$89,000
About this home
Close to beach. 125' on East ST with a 20' easement to Farve ST for easy access to the Beach . Property was just cleared of underbrush. Great place to build your get a way on a large piece of property.
Contact an agent
Home facts
- Listing ID #:4129922
- Added:1 day(s) ago
- Updated:October 28, 2025 at 07:43 PM
Structure and exterior
- Lot area:1.27 Acres
Utilities
- Water:Public
- Sewer:Public Sewer, Sewer Available
Finances and disclosures
- Price:$89,000
- Tax amount:$350 (2024)
New listings near East Street
- New $89,000Active1.06 Acres $89,000Active1.06 AcresEast Street, Waveland, MS 39576MLS# 4129928Listed by: ASHMAN-MOLLERE REALTY, INC.
- New $38,000Active0.72 Acres $38,000Active0.72 AcresDuvernay Road, Waveland, MS 39576MLS# 4129652Listed by: EXPECT REALTY
- New $99,000Active1.51 Acres $99,000Active1.51 AcresEast Street, Waveland, MS 39576MLS# 4129842Listed by: ASHMAN-MOLLERE REALTY, INC.
- New Listed by ERA$565,000Active3 beds 2 baths1,606 sq. ft. Listed by ERA$565,000Active3 beds 2 baths1,606 sq. ft.121 Mollere Drive, Waveland, MS 39576MLS# 4129810Listed by: ERA POWERMARK PROPERTIES
- New $60,000Active0.23 Acres $60,000Active0.23 AcresTerrace Avenue, Waveland, MS 39576MLS# 4129713Listed by: COLDWELL BANKER ALFONSO REALTY - DH
- New $59,000Active0.21 Acres $59,000Active0.21 AcresNicholson Ave, Lot 1 Avenue, Waveland, MS 39576MLS# 4129356Listed by: ELLIS REALTY
- New $55,000Active0.21 Acres $55,000Active0.21 AcresNicholson Ave, Lot 2 Avenue, Waveland, MS 39576MLS# 4129357Listed by: ELLIS REALTY
 $299,900Pending3 beds 2 baths1,416 sq. ft. $299,900Pending3 beds 2 baths1,416 sq. ft.- 640 Fellgrass Street, Waveland, MS 39576MLS# 4129153Listed by: MAGNOLIA & CO REAL ESTATE LLC
- New $134,900Active0.44 Acres $134,900Active0.44 Acres123 Lafitte Drive, Waveland, MS 39576MLS# 4129112Listed by: ASHMAN-MOLLERE REALTY, INC.
