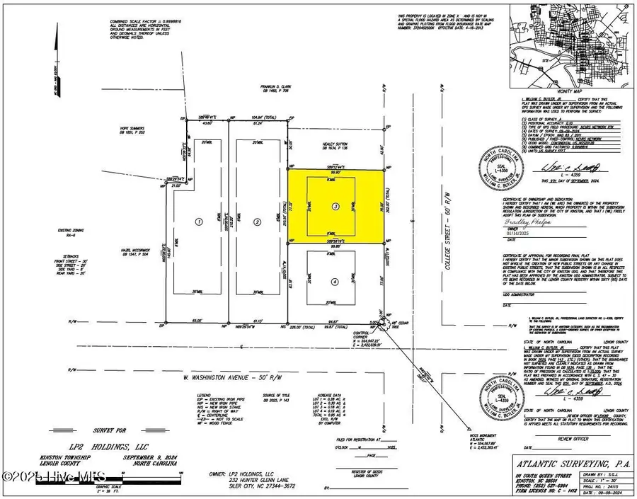
602 College Street, Kinston, NC 28501
Local realty services provided by:ERA Strother Real Estate
602 College Street,Kinston, NC 28501
$24,000
- 0.18 Acres
- Lots / Land
- Active
Listed by: brad g phelps
Office: long & foster real estate
MLS#:100544040
Source:NC_CCAR
Price summary
- Price:$24,000
About this home
Discover a rare infill development for walkable urban living in the heart of Kinston's Mitchell Town Historic District! Lot 3 is available and offers an ideal setting for today's ''missing middle'' housing options that blend seamlessly into established neighborhoods. Build a thoughtfully designed cottage-style, or small-scale home just steps from downtown restaurants, shopping, parks, and local favorites.
Water and sewer taps are available (combined tap fee: $2,530), and the path to build is straightforward with key legwork already completed. Architectural guidelines are in place to help your new build fit beautifully within the surrounding historic streetscape.
Listing agent is owner of property.
Contact an agent
Home facts
- Listing ID #:100544040
- Added:162 day(s) ago
- Updated:May 16, 2026 at 10:19 AM
Structure and exterior
- Lot area:0.18 Acres
- Lot Features:Interior Lot, Level
Schools
- High school:Kinston
- Elementary school:North West
Finances and disclosures
- Price:$24,000
New listings near 602 College Street
- New
$134,900Active3 beds 1 baths1,529 sq. ft.307 S Mcdaniel Street, Kinston, NC 28501
MLS# 100574369Listed by: UNITED REAL ESTATE EAST CAROLINA - New
$129,900Active3 beds 1 baths1,505 sq. ft.305 S Mcdaniel Street, Kinston, NC 28501
MLS# 100574374Listed by: UNITED REAL ESTATE EAST CAROLINA - New
$165,000Active3 beds 2 baths1,000 sq. ft.1905 Hullwood Drive, Kinston, NC 28504
MLS# 100574357Listed by: WILKINS & LANCASTER REALTY, LLC - New
$235,000Active3 beds 2 baths1,482 sq. ft.755 Central Avenue, Kinston, NC 28504
MLS# 100574070Listed by: LEGACY PREMIER REAL ESTATE, LLC - New
$239,500Active2 beds 2 baths1,719 sq. ft.813 Greenbriar Road, Kinston, NC 28501
MLS# 100574043Listed by: KINSTON REALTY GROUP - Open Sat, 2 to 4pmNew
$239,900Active3 beds 2 baths1,526 sq. ft.326 Wheat Street, Kinston, NC 28504
MLS# 100574018Listed by: RE/MAX SOUTHLAND REALTY II - New
$150,000Active3 beds 2 baths1,632 sq. ft.1615 Leslie R Stroud Road, Kinston, NC 28504
MLS# 100573956Listed by: NORTHGROUP - New
$195,000Active3 beds 2 baths1,320 sq. ft.1529 Hwy 258 N, Kinston, NC 28504
MLS# 10166608Listed by: HOMETOWNE REALTY - New
$239,900Active4 beds 2 baths2,400 sq. ft.906 Carey Road, Kinston, NC 28501
MLS# 100573130Listed by: OUR TOWN PROPERTIES INC. - New
$899,900Active4 beds 5 baths4,200 sq. ft.2052 Autumn Drive, Kinston, NC 28501
MLS# 4380776Listed by: REGGIE REALTY, LLC